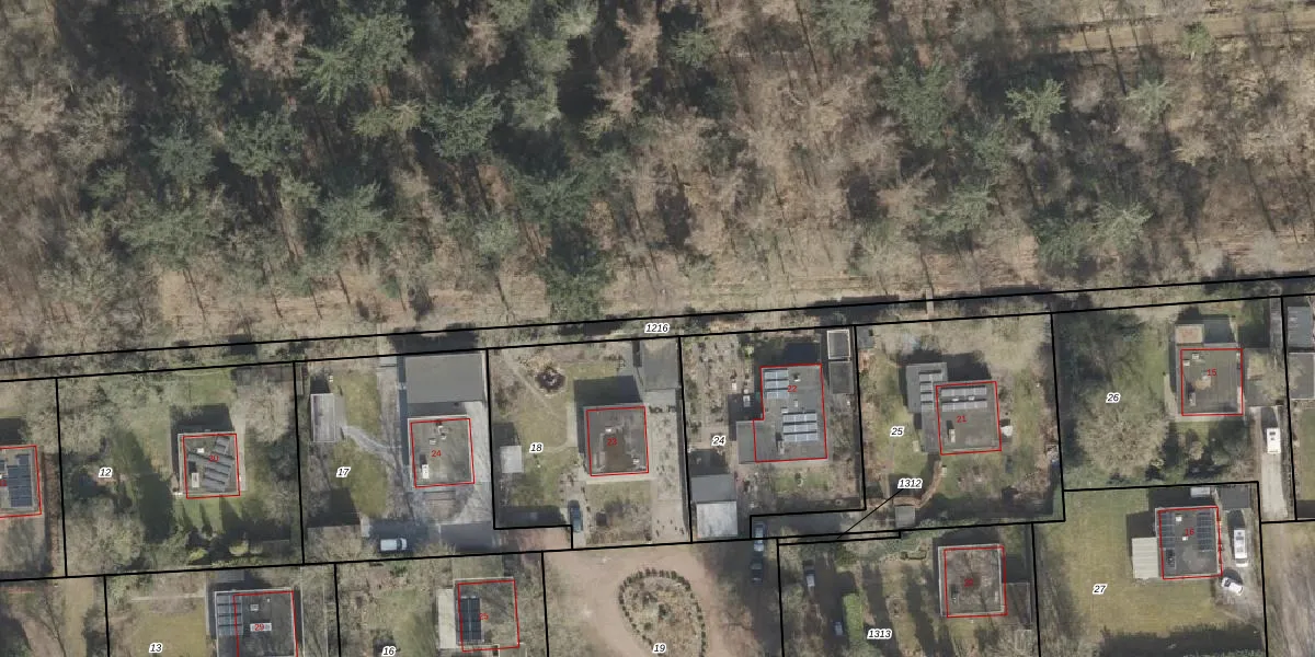
Perceel: VWD02-S-1216
KadastraleKaart.com kan meer dan je denktOntdek meer ›
Filter op bestemming 50+ datasets Eigendomsdata in één klik Percelen CRM
Geen adressen bij dit perceel
959 m2 - 647 m
Eigenaar opvragen
VWD02-S-1216 (Vlagtwedde)
- Geen postcode aanwezig
A702d UVNCURuv 2dhvF oeUpgrade naar KadastraleKaart Pro
Bekijk op Street View
Download DWG/DXF/Excel
fLZp mQFMX uEYRDSOUpgrade naar KadastraleKaart Pro
7 2qw78RxoE3E00U0h24Upgrade naar KadastraleKaart Pro
C1SznztMorpUpgrade naar KadastraleKaart Pro
bL6R1R5ApuRhcjS4WRNmUpgrade naar KadastraleKaart Pro
YL1X LcvD5Upgrade naar KadastraleKaart Pro
Gyun FfTlAPsT6Upgrade naar KadastraleKaart Pro
e Vmrk 3iUpgrade naar KadastraleKaart Pro
ObX6AXRqnGuyeqUpgrade naar KadastraleKaart Pro
y8jUQv4 GxUpgrade naar KadastraleKaart Pro
tyUD1 07Rl pUpgrade naar KadastraleKaart Pro
25/09/2023

Percelen
Gebruik de zoekbalk of klik op een perceel om informatie over het perceel te bekijken.