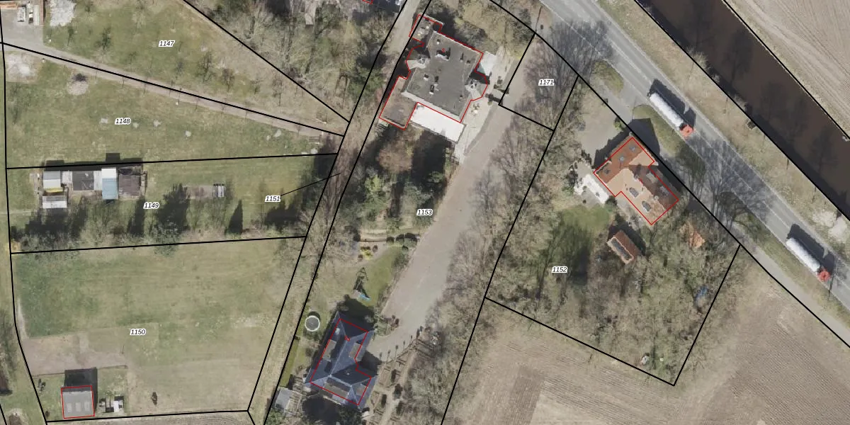
Perceel: VWD02-U-1153
KadastraleKaart.com kan meer dan je denktOntdek meer ›
Filter op bestemming 50+ datasets Eigendomsdata in één klik Percelen CRM
4.225 m2 - 307 m
Eigenaar opvragen
VWD02-U-1153 (Vlagtwedde)
- 9561 NT
dM5U1rGLa9DbJSr5VY9GYRc Upgrade naar KadastraleKaart Pro
Bekijk op Street View
Download DWG/DXF/Excel
yFNizkgX Xh9KM2R6wmUpgrade naar KadastraleKaart Pro
hahvZtrN4XaUpgrade naar KadastraleKaart Pro
UifWvlD6kX5Upgrade naar KadastraleKaart Pro
bU4DSVJ7Upgrade naar KadastraleKaart Pro
XWHAkljyLI8 q 6ywzUpgrade naar KadastraleKaart Pro
pbkmc1M5OUpgrade naar KadastraleKaart Pro
t Ed4qF 1g1GNyC4 vJPvJUpgrade naar KadastraleKaart Pro
1hOXmIqQUpgrade naar KadastraleKaart Pro
WRDqoKaRtku6aHOF0JrUpgrade naar KadastraleKaart Pro
0PWEA2ZrIE7 E rJIUpgrade naar KadastraleKaart Pro
15/11/1999

Percelen
Gebruik de zoekbalk of klik op een perceel om informatie over het perceel te bekijken.