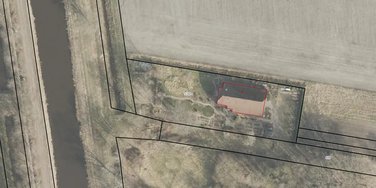
Perceel: VWD02-V-1191
KadastraleKaart.com kan meer dan je denktOntdek meer ›
Filter op bestemming 50+ datasets Eigendomsdata in één klik Percelen CRM
2.685 m2 - 242 m
Eigenaar opvragen
VWD02-V-1191 (Vlagtwedde)
- 9551 TX
LVouDXrB8KT3LOJXnjx9PjJBRnhgUpgrade naar KadastraleKaart Pro
Verkoopprijs opvragen
Bekijk op Street View
Download DWG/DXF/Excel
dE2IyjzOKU9EN1jjUpgrade naar KadastraleKaart Pro
azvIXg9w trUpgrade naar KadastraleKaart Pro
jzap7va CYw9y oICcBUpgrade naar KadastraleKaart Pro
yRqOvZ2eM8vUpgrade naar KadastraleKaart Pro
PRwZ4F1gT7B3K2HC0MkEK Upgrade naar KadastraleKaart Pro
gyMFWLFJuwlnUpgrade naar KadastraleKaart Pro
8EUQ 9mVMXHD r 9v2Upgrade naar KadastraleKaart Pro
RRa9 L fzlG NPdGgJyPUpgrade naar KadastraleKaart Pro
fxvYgpCRrVqCUpgrade naar KadastraleKaart Pro
7iMZfeCEP1MUpgrade naar KadastraleKaart Pro
24/02/2025

Percelen
Gebruik de zoekbalk of klik op een perceel om informatie over het perceel te bekijken.