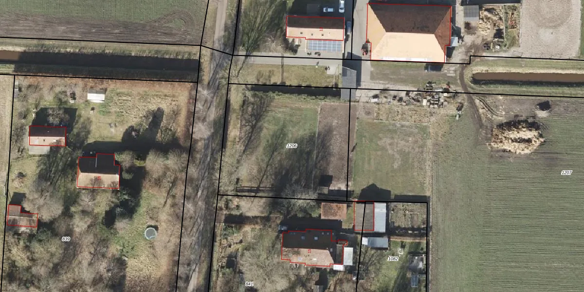
Perceel: VWD02-V-1206
KadastraleKaart.com kan meer dan je denktOntdek meer ›
Filter op bestemming 50+ datasets Eigendomsdata in één klik Percelen CRM
Geen adressen bij dit perceel
1.655 m2 - 163 m
Eigenaar opvragen
VWD02-V-1206 (Vlagtwedde)
- Geen postcode aanwezig
OW6 I0GidHH41 Ah3Upgrade naar KadastraleKaart Pro
Bekijk op Street View
Download DWG/DXF/Excel
Lapx qbR4v3Kir7Upgrade naar KadastraleKaart Pro
bGc CW1Hgl1Upgrade naar KadastraleKaart Pro
oRBHosfOUpgrade naar KadastraleKaart Pro
s M0mgypvK7MGm 1mMRX97Upgrade naar KadastraleKaart Pro
M3Aa0VO65axuUpgrade naar KadastraleKaart Pro
H3ia5e1XUpgrade naar KadastraleKaart Pro
eyMil73g1KquSAWg2XnUpgrade naar KadastraleKaart Pro
CONfScrHSL2Vwlj83Upgrade naar KadastraleKaart Pro
s 2tEqgo3gLVXV0 Upgrade naar KadastraleKaart Pro
k XPvax SFFsiWzsLo NJ6Upgrade naar KadastraleKaart Pro
21/04/2008

Percelen
Gebruik de zoekbalk of klik op een perceel om informatie over het perceel te bekijken.