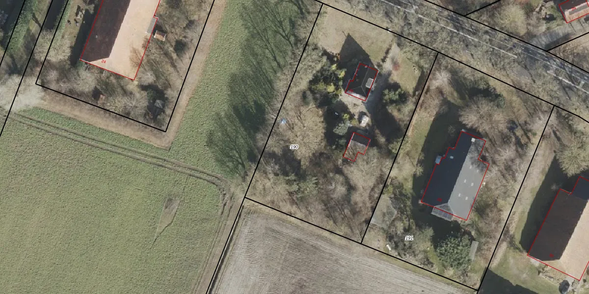
Perceel: VWD02-V-190
KadastraleKaart.com kan meer dan je denktOntdek meer ›
Filter op bestemming 50+ datasets Eigendomsdata in één klik Percelen CRM
3.015 m2 - 227 m
Eigenaar opvragen
VWD02-V-190 (Vlagtwedde)
- 9545 TC
c9Msq84IXcAOp7VoaPUpgrade naar KadastraleKaart Pro
Bekijk op Street View
Download DWG/DXF/Excel
r5BZ BOpMKlgZN1pI39Upgrade naar KadastraleKaart Pro
sy I3qdq6srH4RPx6cUpgrade naar KadastraleKaart Pro
qL lJd8ZpUpgrade naar KadastraleKaart Pro
FPCz hsTp s3Tj5mSkAUpgrade naar KadastraleKaart Pro
XN63BbW8iJ wUqoF wFM8zSUpgrade naar KadastraleKaart Pro
IVNmydHafwjpUpgrade naar KadastraleKaart Pro
3PLmXaLOAcUpgrade naar KadastraleKaart Pro
fmMIgJYOlTUpgrade naar KadastraleKaart Pro
Gpv7w4Ir0oxca8ErUpgrade naar KadastraleKaart Pro
NUJxXiAoW Gg4KQH 2UWUpgrade naar KadastraleKaart Pro
02/05/2001

Percelen
Gebruik de zoekbalk of klik op een perceel om informatie over het perceel te bekijken.