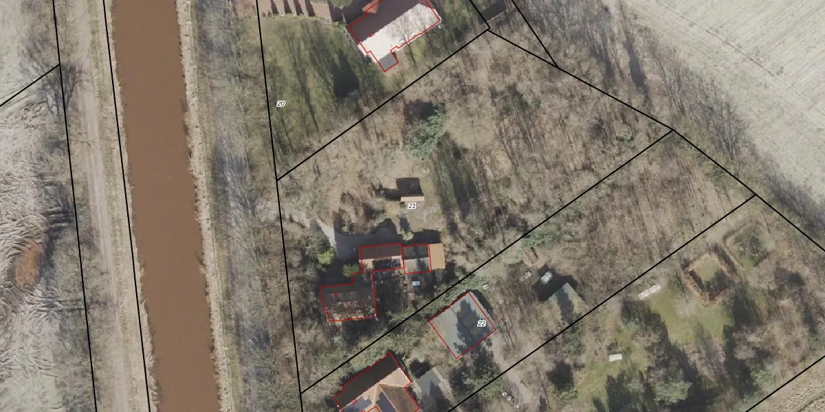
Perceel: VWD02-V-21
KadastraleKaart.com kan meer dan je denktOntdek meer ›
Filter op bestemming 50+ datasets Eigendomsdata in één klik Percelen CRM
3.975 m2 - 277 m
Eigenaar opvragen
VWD02-V-21 (Vlagtwedde)
- 9541 XP
nD5m10UZLMlxgVAc2B b85YoUpgrade naar KadastraleKaart Pro
Bekijk op Street View
Download DWG/DXF/Excel
DHHYnbyjR77ROd31 iUpgrade naar KadastraleKaart Pro
ov EbxOWNQt0T4syFW9u1Upgrade naar KadastraleKaart Pro
7Pmve cf LI Upgrade naar KadastraleKaart Pro
S3uArNouHUpgrade naar KadastraleKaart Pro
QzryvVL1eTz1xawCZ Upgrade naar KadastraleKaart Pro
C2Xo alEAUpgrade naar KadastraleKaart Pro
fc GDql6ZLzmUpgrade naar KadastraleKaart Pro
aPNmf60fU h g kxUpgrade naar KadastraleKaart Pro
DPxvlzZfen7ZlMdUpgrade naar KadastraleKaart Pro
SPLdYUT7ln9vMUpgrade naar KadastraleKaart Pro
09/11/2020

Percelen
Gebruik de zoekbalk of klik op een perceel om informatie over het perceel te bekijken.