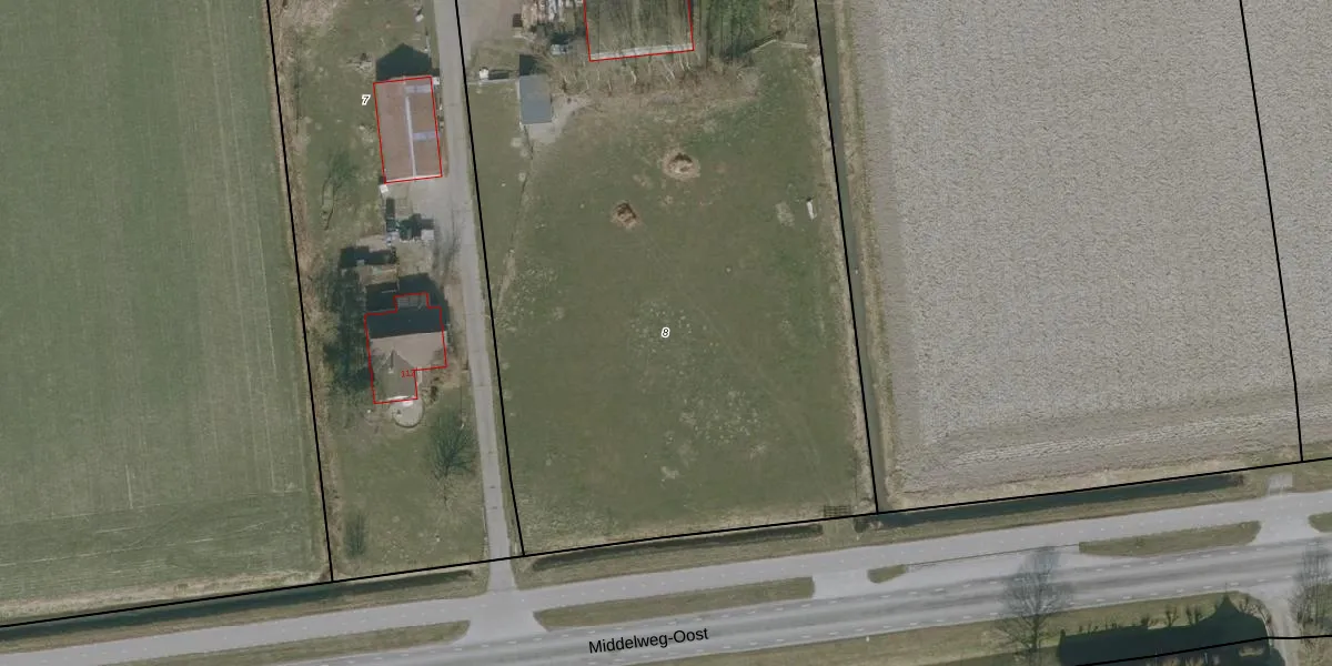
Perceel: VWE00-G-8
KadastraleKaart.com kan meer dan je denktOntdek meer ›
Filter op bestemming 50+ datasets Eigendomsdata in één klik Percelen CRM
Geen adressen bij dit perceel
10.790 m2 - 516 m
Eigenaar opvragen
VWE00-G-8 (Lieve Vrouwe Parochie)
- Geen postcode aanwezig
6zuvB71BYqtA3YZ 0DcrPQl4STAUpgrade naar KadastraleKaart Pro
Bekijk op Street View
Download DWG/DXF/Excel
3dKOOc6yTGhZhMCB NkiUpgrade naar KadastraleKaart Pro
Ex7R1 aYXmUpgrade naar KadastraleKaart Pro
hB3Hx vDpUpgrade naar KadastraleKaart Pro
zvxT0wIfUpgrade naar KadastraleKaart Pro
X cxne1Fl50TkpUUpgrade naar KadastraleKaart Pro
7dGf6M7d4LB9RBSRUpgrade naar KadastraleKaart Pro
71Jq5DzNh4YUpgrade naar KadastraleKaart Pro
Re7VxZxVUpgrade naar KadastraleKaart Pro
S7G VrHWViWF LOXgc UxUpgrade naar KadastraleKaart Pro
s E 7cF bvMSwPIUpgrade naar KadastraleKaart Pro
15/01/1998

Percelen
Gebruik de zoekbalk of klik op een perceel om informatie over het perceel te bekijken.