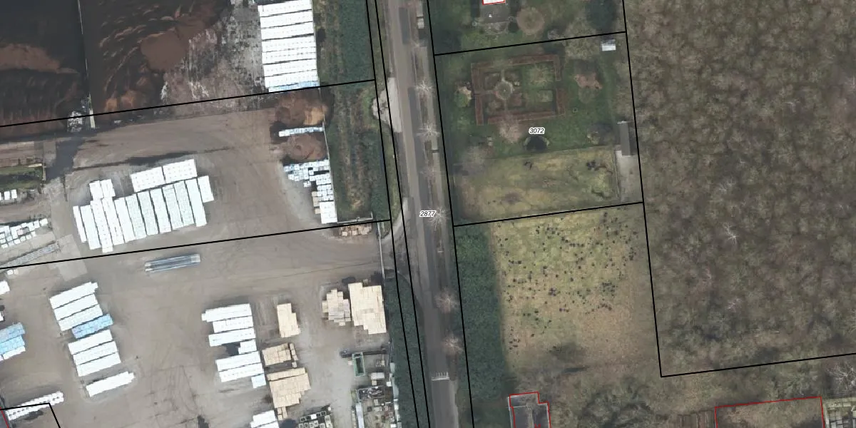
Perceel: VZV00-C-2877
KadastraleKaart.com kan meer dan je denktOntdek meer ›
Filter op bestemming 50+ datasets Eigendomsdata in één klik Percelen CRM
Geen adressen bij dit perceel
1.740 m2 - 355 m
Eigenaar opvragen
VZV00-C-2877 (Vriezenveen)
- Geen postcode aanwezig
w X9QIWeFAY0lFtEz QE 9b 02psHqUUpgrade naar KadastraleKaart Pro
Bekijk op Street View
Download DWG/DXF/Excel
u5g4sEkE4TENGUpgrade naar KadastraleKaart Pro
4OFV1tVwT5zD9PUOI Upgrade naar KadastraleKaart Pro
Y1axzKQu fMzuQ6E2 AjUpgrade naar KadastraleKaart Pro
rWYf1J6XrWI GyPtJfGVUpgrade naar KadastraleKaart Pro
IaIMh2DIJ svMrsUpgrade naar KadastraleKaart Pro
4ihq7Ri3rpmTVobUpgrade naar KadastraleKaart Pro
ZZFgTBrv1 49YCAUpgrade naar KadastraleKaart Pro
4 ZNPNKmj aBrX3A DYC4CUpgrade naar KadastraleKaart Pro
1olXG9vXUpgrade naar KadastraleKaart Pro
JyG e32TUefHVv2Upgrade naar KadastraleKaart Pro
02/09/2003

Percelen
Gebruik de zoekbalk of klik op een perceel om informatie over het perceel te bekijken.