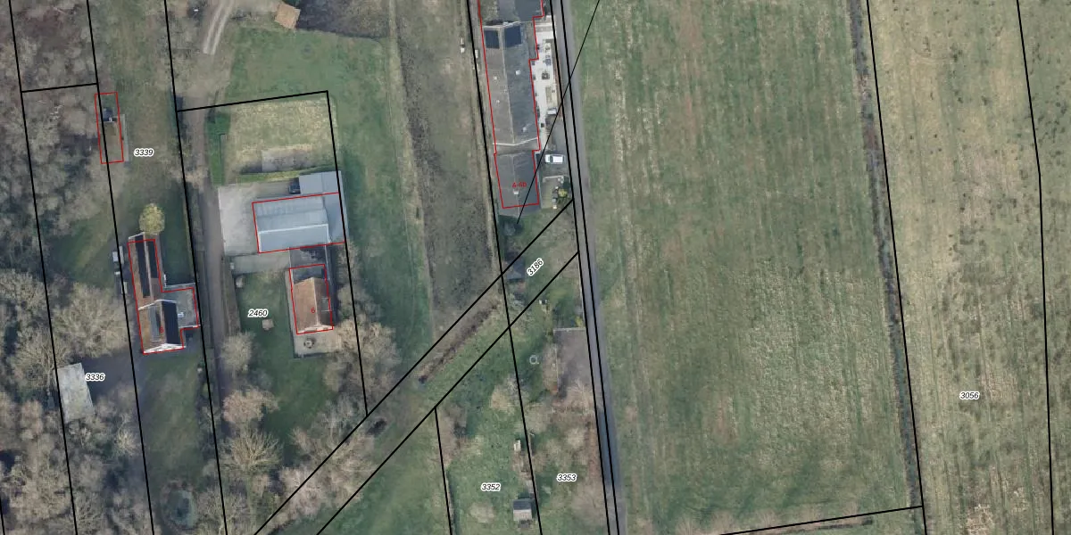
Perceel: VZV00-C-3186
KadastraleKaart.com kan meer dan je denktOntdek meer ›
Filter op bestemming 50+ datasets Eigendomsdata in één klik Percelen CRM
Geen adressen bij dit perceel
150 m2 - 58 m
Eigenaar opvragen
VZV00-C-3186 (Vriezenveen)
- Geen postcode aanwezig
u4U yvs47pAzgB rqcV5Tm3MDd4Upgrade naar KadastraleKaart Pro
Bekijk op Street View
Download DWG/DXF/Excel
dj0wjyKCfUpgrade naar KadastraleKaart Pro
6Cc cZ 9n2Um4p dsAuUpgrade naar KadastraleKaart Pro
3kw93C4MU jUpgrade naar KadastraleKaart Pro
LPkiMYjLPuhTzLuEb9dX2cpUpgrade naar KadastraleKaart Pro
YRA3Ve3nadSQMZ9RNZaSUpgrade naar KadastraleKaart Pro
Sw5aJPJSe2MJbU61jfitUpgrade naar KadastraleKaart Pro
Atuqxzg03 dk wUpgrade naar KadastraleKaart Pro
kdnM0s9pmX4lgUpgrade naar KadastraleKaart Pro
svPwtKpruoVCPp6QU0piXUpgrade naar KadastraleKaart Pro
G5b 8dFBBHCLkUpgrade naar KadastraleKaart Pro
19/03/2001

Percelen
Gebruik de zoekbalk of klik op een perceel om informatie over het perceel te bekijken.