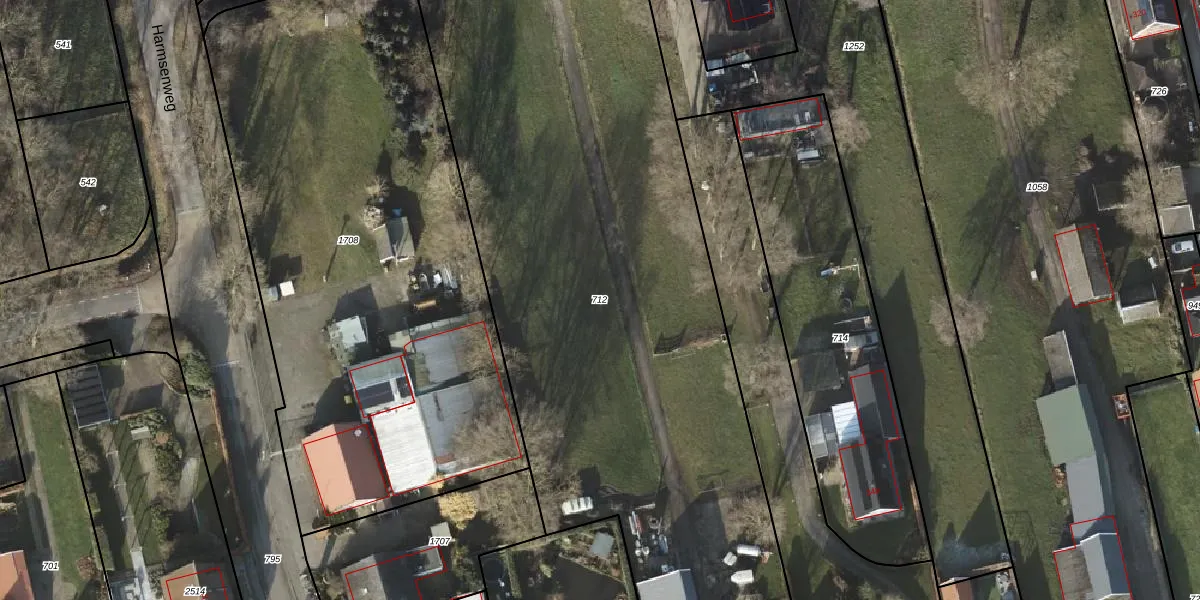
Perceel: VZV00-G-712
KadastraleKaart.com kan meer dan je denktOntdek meer ›
Filter op bestemming 50+ datasets Eigendomsdata in één klik Percelen CRM
5.460 m2 - 414 m
Eigenaar opvragen
VZV00-G-712 (Vriezenveen)
- 7671 CN
nA3kJutsZig8VUb3YiMKCcqqnUpgrade naar KadastraleKaart Pro
Verkoopprijs opvragen
Bekijk op Street View
Download DWG/DXF/Excel
r666qqLm36aUpgrade naar KadastraleKaart Pro
SZe4afAlTpycmz ysqGBfUpgrade naar KadastraleKaart Pro
aS F55 lHwoUpgrade naar KadastraleKaart Pro
GhZQ GYl9rgUpgrade naar KadastraleKaart Pro
jAY n 6yQ65poDdTLNwUpgrade naar KadastraleKaart Pro
FTzwxV75wg muaXPPsZUpgrade naar KadastraleKaart Pro
G5Qekya8 e1VUpgrade naar KadastraleKaart Pro
KVCr8RyX1496 Nz tsUpgrade naar KadastraleKaart Pro
TUjrwAv0ibsx1F hVwUpgrade naar KadastraleKaart Pro
Njw YUi M43XvYpA StBUpgrade naar KadastraleKaart Pro
10/01/2001

Percelen
Gebruik de zoekbalk of klik op een perceel om informatie over het perceel te bekijken.