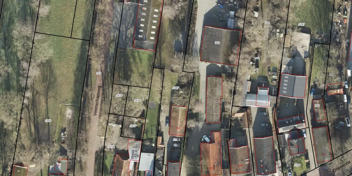
Perceel: VZV00-H-1587
KadastraleKaart.com kan meer dan je denktOntdek meer ›
Filter op bestemming 50+ datasets Eigendomsdata in één klik Percelen CRM
2.080 m2 - 339 m
Eigenaar opvragen
VZV00-H-1587 (Vriezenveen)
- 7671 BB
wnUnnQQWSOlAJwcKPF cUpgrade naar KadastraleKaart Pro
Verkoopprijs opvragen
Bekijk op Street View
Download DWG/DXF/Excel
kICd7l UUpgrade naar KadastraleKaart Pro
iUWvA4KjFOhvbpd DUpgrade naar KadastraleKaart Pro
fs50G6jiLjdUTXFbGouAaGZUpgrade naar KadastraleKaart Pro
dmUm7SprtIUpgrade naar KadastraleKaart Pro
TWHg4 npIzUBUpgrade naar KadastraleKaart Pro
l hzoIOTUpgrade naar KadastraleKaart Pro
7F0RjIp5Ny7X3CfbUpgrade naar KadastraleKaart Pro
uK09MPUCNSEBrqYhlnIcUpgrade naar KadastraleKaart Pro
ZZLFO raTAfjPKZCU Upgrade naar KadastraleKaart Pro
rX72dT9RBCnGUpgrade naar KadastraleKaart Pro
11/05/2015

Percelen
Gebruik de zoekbalk of klik op een perceel om informatie over het perceel te bekijken.