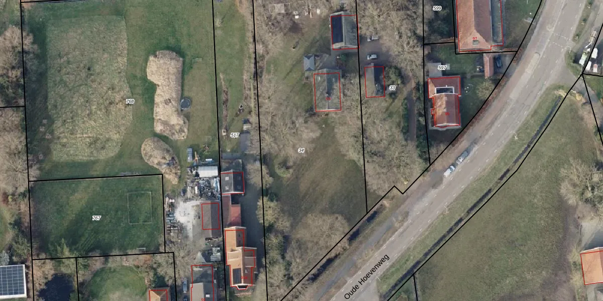
Perceel: VZV00-I-34
KadastraleKaart.com kan meer dan je denktOntdek meer ›
Filter op bestemming 50+ datasets Eigendomsdata in één klik Percelen CRM
3.170 m2 - 268 m
Eigenaar opvragen
VZV00-I-34 (Vriezenveen)
- 7671 PH
zVQ G ug2hIWYJGvig5doUpgrade naar KadastraleKaart Pro
Verkoopprijs opvragen
Bekijk op Street View
Download DWG/DXF/Excel
ylEeI3BA6QURH AuhXq LUpgrade naar KadastraleKaart Pro
wiPDAU49ha4tUpgrade naar KadastraleKaart Pro
r26IVDc13wG01xJ8spTeyUpgrade naar KadastraleKaart Pro
sdFT0VLQPLS1Upgrade naar KadastraleKaart Pro
5etefXaS eUpgrade naar KadastraleKaart Pro
DBm htAnGFt2 lKfX0yUpgrade naar KadastraleKaart Pro
KUEFP64CBQFiVt0Qu 1 uGUpgrade naar KadastraleKaart Pro
5CujeanKowQ 1scQ wvzyJ1Upgrade naar KadastraleKaart Pro
OeTNuV4FOFb3bBANcUpgrade naar KadastraleKaart Pro
y2 i8czFvRzhbiUpgrade naar KadastraleKaart Pro
29/01/2001

Percelen
Gebruik de zoekbalk of klik op een perceel om informatie over het perceel te bekijken.