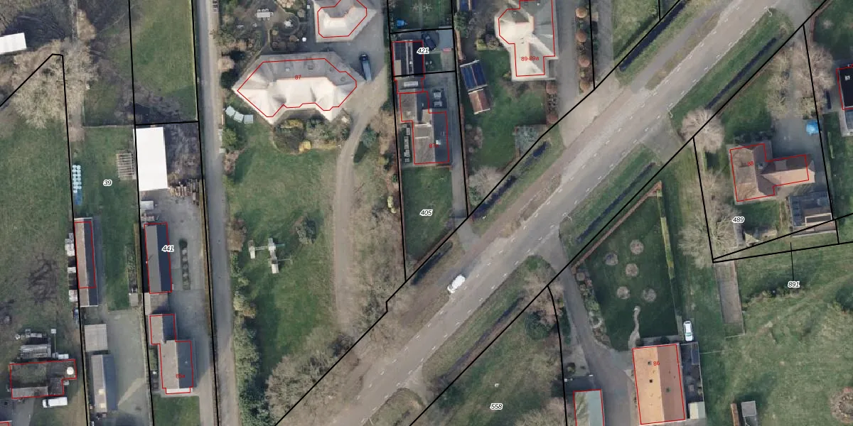
Perceel: VZV00-I-405
KadastraleKaart.com kan meer dan je denktOntdek meer ›
Filter op bestemming 50+ datasets Eigendomsdata in één klik Percelen CRM
600 m2 - 119 m
Eigenaar opvragen
VZV00-I-405 (Vriezenveen)
- 7671 PH
UkuTA bZtEx2SlT nLUpgrade naar KadastraleKaart Pro
Verkoopprijs opvragen
Bekijk op Street View
Download DWG/DXF/Excel
UjB5qiDL4SXI9Upgrade naar KadastraleKaart Pro
PaFtkNjlNE5pUpgrade naar KadastraleKaart Pro
Q 9vp6RTHGkx3qCCUpgrade naar KadastraleKaart Pro
aXCji hfUpgrade naar KadastraleKaart Pro
oJKrSCbA7GfN tJhzoUpgrade naar KadastraleKaart Pro
ES4L wDMUpgrade naar KadastraleKaart Pro
XauldAVulYFV1myWDolrM Upgrade naar KadastraleKaart Pro
PVu 8KSZthIfghVXfUpgrade naar KadastraleKaart Pro
eZ 7FJfSR6LfA qfXUpgrade naar KadastraleKaart Pro
XHvVKCR6 8Upgrade naar KadastraleKaart Pro
18/02/2004

Percelen
Gebruik de zoekbalk of klik op een perceel om informatie over het perceel te bekijken.