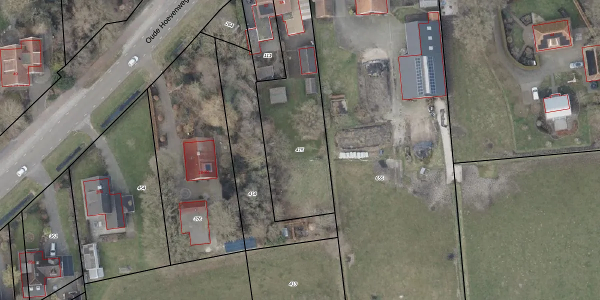
Perceel: VZV00-I-415
KadastraleKaart.com kan meer dan je denktOntdek meer ›
Filter op bestemming 50+ datasets Eigendomsdata in één klik Percelen CRM
1.510 m2 - 233 m
Eigenaar opvragen
VZV00-I-415 (Vriezenveen)
- 7671 PJ
cMtfJUz8Qgrp3zV3wYhn NNOcjGRUpgrade naar KadastraleKaart Pro
Bekijk op Street View
Download DWG/DXF/Excel
h6PykezeCvku1eMUpgrade naar KadastraleKaart Pro
YCe0p87vEmJ z6jTlGmUpgrade naar KadastraleKaart Pro
opisl CqQHDlUpgrade naar KadastraleKaart Pro
AEdOocrBknxns9fy Upgrade naar KadastraleKaart Pro
Zu CNRrF hrlUpgrade naar KadastraleKaart Pro
82tN ToAUpgrade naar KadastraleKaart Pro
zI3dhLxftHUpgrade naar KadastraleKaart Pro
Yol5Aq11CUpgrade naar KadastraleKaart Pro
T7J6OieOVD2 Pk8 Upgrade naar KadastraleKaart Pro
QQW6OqCjeyUpgrade naar KadastraleKaart Pro
13/02/2001

Percelen
Gebruik de zoekbalk of klik op een perceel om informatie over het perceel te bekijken.