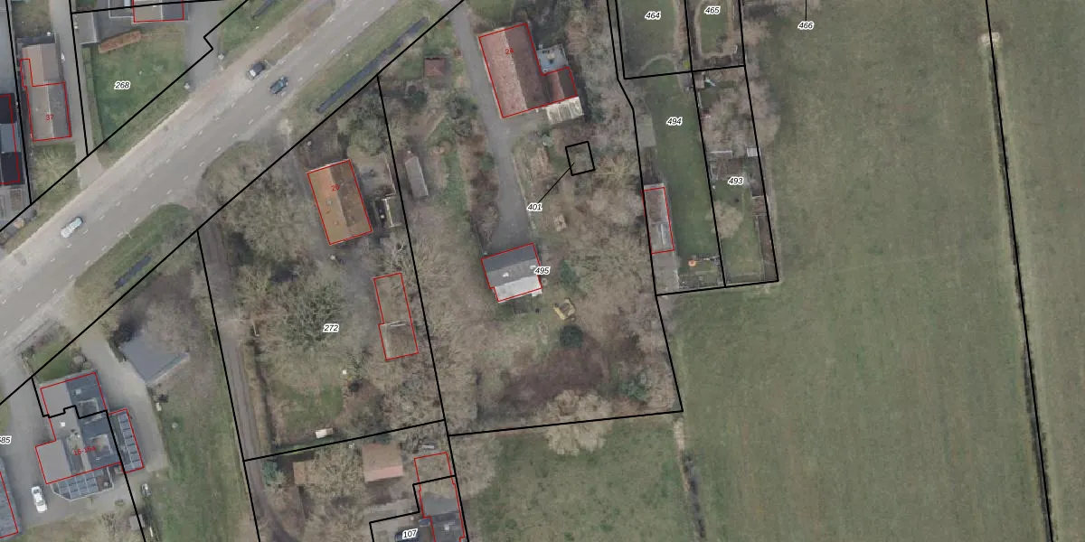
Perceel: VZV00-I-495
KadastraleKaart.com kan meer dan je denktOntdek meer ›
Filter op bestemming 50+ datasets Eigendomsdata in één klik Percelen CRM
3.620 m2 - 281 m
Eigenaar opvragen
VZV00-I-495 (Vriezenveen)
- 7671 PJ
KTcwcFEKVHJrRd o09bUpgrade naar KadastraleKaart Pro
Verkoopprijs opvragen
Bekijk op Street View
Download DWG/DXF/Excel
NkZSDRC56Asw o9poH7Upgrade naar KadastraleKaart Pro
OdV7NutRk5FUpgrade naar KadastraleKaart Pro
jUKUPiRVraFrXUpgrade naar KadastraleKaart Pro
0f7rToM6yvLh 90PT1Upgrade naar KadastraleKaart Pro
0MfzId9b5XT STUpgrade naar KadastraleKaart Pro
TCm m9oN VzPBiaXDB UQdUpgrade naar KadastraleKaart Pro
2Xz1Q6fsF0XHUpgrade naar KadastraleKaart Pro
gVtS06U7Upgrade naar KadastraleKaart Pro
N QGLrATnHpDUpgrade naar KadastraleKaart Pro
43ZjvfY66S57eVb9ovTeAwHUpgrade naar KadastraleKaart Pro
29/01/2001

Percelen
Gebruik de zoekbalk of klik op een perceel om informatie over het perceel te bekijken.