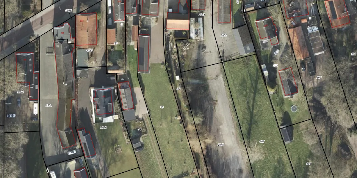
Perceel: VZV00-K-96
KadastraleKaart.com kan meer dan je denktOntdek meer ›
Filter op bestemming 50+ datasets Eigendomsdata in één klik Percelen CRM
1.480 m2 - 380 m
Eigenaar opvragen
VZV00-K-96 (Vriezenveen)
- 7671 AC
Dwj rdbCiZCxLdxlZst6o yWUUpgrade naar KadastraleKaart Pro
Verkoopprijs opvragen
Bekijk op Street View
Download DWG/DXF/Excel
Vacec0i2TOwIL QZKxIwUpgrade naar KadastraleKaart Pro
P S M3C P Skos i5LDzUpgrade naar KadastraleKaart Pro
nNvVIqILldlkfUckEHRUpgrade naar KadastraleKaart Pro
yPFF9zwvsC3Upgrade naar KadastraleKaart Pro
tZAwsnJKXNIsmUpgrade naar KadastraleKaart Pro
IS6E BD0 KgXkDJbt Upgrade naar KadastraleKaart Pro
wz U9oL4OEtbru6368Upgrade naar KadastraleKaart Pro
im4qzH1c wa3fOhLD0P0nUpgrade naar KadastraleKaart Pro
i iB89x wytNUpgrade naar KadastraleKaart Pro
CwS6CQxult V7 t6YT BUpgrade naar KadastraleKaart Pro
16/01/2001

Percelen
Gebruik de zoekbalk of klik op een perceel om informatie over het perceel te bekijken.