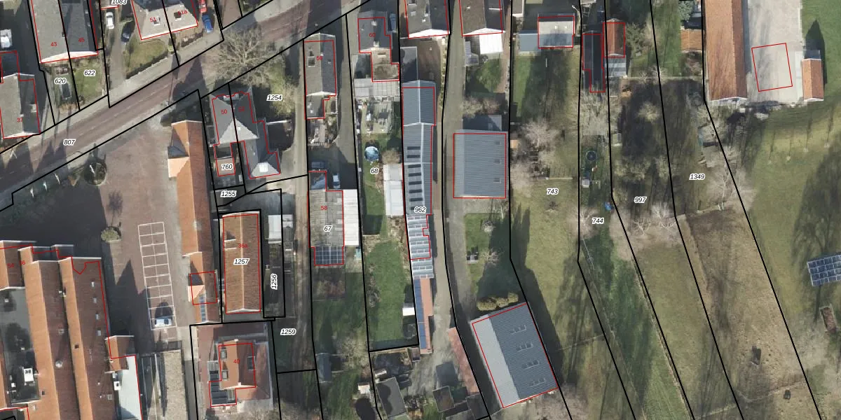
Perceel: VZV00-K-962
KadastraleKaart.com kan meer dan je denktOntdek meer ›
Filter op bestemming 50+ datasets Eigendomsdata in één klik Percelen CRM
1.410 m2 - 272 m
Eigenaar opvragen
VZV00-K-962 (Vriezenveen)
- 7671 AB
hFv Se3vkW gtH aY Upgrade naar KadastraleKaart Pro
Bekijk op Street View
Download DWG/DXF/Excel
VHQZiErwcqiwwY hPNaRBOUpgrade naar KadastraleKaart Pro
4mb7GxnNDC3Bvx hJOiUpgrade naar KadastraleKaart Pro
PRPflWA 38k9QhpEUpgrade naar KadastraleKaart Pro
AvB83U3c Upgrade naar KadastraleKaart Pro
CBLlwJS bj6ZZFlGR9TDeUpgrade naar KadastraleKaart Pro
Z0lJN6 5SUpgrade naar KadastraleKaart Pro
svhRs3onjsUpgrade naar KadastraleKaart Pro
5UDEm4i56JfRvKUpgrade naar KadastraleKaart Pro
3nyqHM0Aor8kUpgrade naar KadastraleKaart Pro
ODNd AZZzkWcEfsiRFVCF QUpgrade naar KadastraleKaart Pro
19/03/2007

Percelen
Gebruik de zoekbalk of klik op een perceel om informatie over het perceel te bekijken.