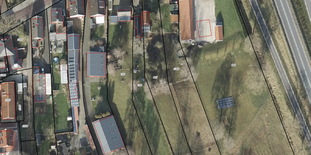
Perceel: VZV00-K-997
KadastraleKaart.com kan meer dan je denktOntdek meer ›
Filter op bestemming 50+ datasets Eigendomsdata in één klik Percelen CRM
2.070 m2 - 391 m
Eigenaar opvragen
VZV00-K-997 (Vriezenveen)
- 7671 AB
SKE00Bs9 cML5NkTelGeUpgrade naar KadastraleKaart Pro
Bekijk op Street View
Download DWG/DXF/Excel
YPLt6F9LQgEn7treWKVoUpgrade naar KadastraleKaart Pro
elAsWrrA CkMFuNzUpgrade naar KadastraleKaart Pro
Iqm5YTx o rNSEfgENctH9Upgrade naar KadastraleKaart Pro
zuPueXmM2 fzAdfi hPUpgrade naar KadastraleKaart Pro
mgn9T1pMGhBUUpgrade naar KadastraleKaart Pro
fPJZa6 eXuXMB9 CUpgrade naar KadastraleKaart Pro
NdV W kM3PngfSUpgrade naar KadastraleKaart Pro
k Qq3VwE Sa0Upgrade naar KadastraleKaart Pro
x02L7vphPA e4ZOCOL 0EUpgrade naar KadastraleKaart Pro
bm0bIBJx6Zlf0LUpgrade naar KadastraleKaart Pro
19/03/2007

Percelen
Gebruik de zoekbalk of klik op een perceel om informatie over het perceel te bekijken.