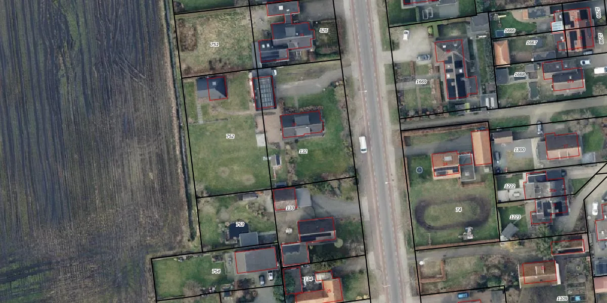
Perceel: VZV00-N-132
KadastraleKaart.com kan meer dan je denktOntdek meer ›
Filter op bestemming 50+ datasets Eigendomsdata in één klik Percelen CRM
1.120 m2 - 135 m
Eigenaar opvragen
VZV00-N-132 (Vriezenveen)
- 7676 AA
tpQLL FJNGPVr VIcbGH1GTRhDBLUpgrade naar KadastraleKaart Pro
Bekijk op Street View
Download DWG/DXF/Excel
B6a7sOpDZi9jUpgrade naar KadastraleKaart Pro
t64SzD32yUpgrade naar KadastraleKaart Pro
KhS4 FTYJORgUpgrade naar KadastraleKaart Pro
2KMv glVUpgrade naar KadastraleKaart Pro
1t6IpFN RxXhPfQkUpgrade naar KadastraleKaart Pro
7JsKR54u6Ut17RtXvrwl7HUpgrade naar KadastraleKaart Pro
Zi3x70UlqznY9UADx7YUpgrade naar KadastraleKaart Pro
e0MHZfxwEJaDtuGxmisqoDGUpgrade naar KadastraleKaart Pro
2MTJpsB 9PmWCB QfUUpgrade naar KadastraleKaart Pro
IA 1vpBsev eHy2zIUpgrade naar KadastraleKaart Pro
15/01/2001

Percelen
Gebruik de zoekbalk of klik op een perceel om informatie over het perceel te bekijken.