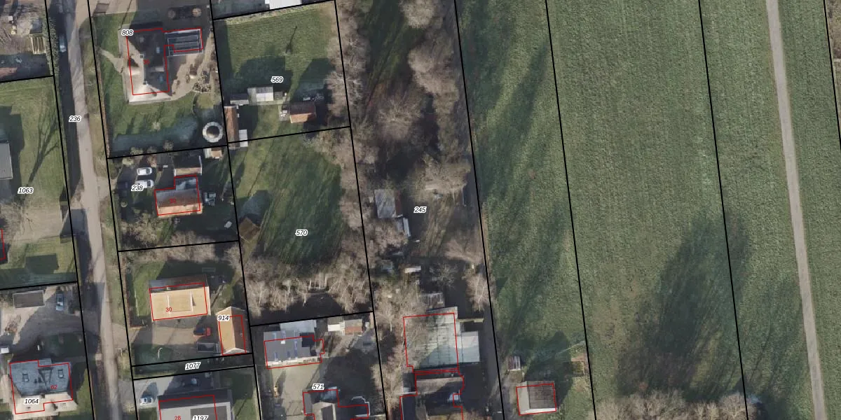
Perceel: VZV00-N-245
KadastraleKaart.com kan meer dan je denktOntdek meer ›
Filter op bestemming 50+ datasets Eigendomsdata in één klik Percelen CRM
4.480 m2 - 376 m
Eigenaar opvragen
VZV00-N-245 (Vriezenveen)
- 7676 SR
0 XtbNwZArAdEawxSa0WUpgrade naar KadastraleKaart Pro
Verkoopprijs opvragen
Bekijk op Street View
Download DWG/DXF/Excel
7xTvynX3Ph fGUfj4c0Upgrade naar KadastraleKaart Pro
zRKpYnW XIfmDUpgrade naar KadastraleKaart Pro
hc7GgWJddryfQjUpgrade naar KadastraleKaart Pro
W4NZGf TkmxnTa8g4m5vCgdUpgrade naar KadastraleKaart Pro
gkHwmNcKfKPcM1A5tArj3Upgrade naar KadastraleKaart Pro
F1HKPOKI4S Xet vefGUpgrade naar KadastraleKaart Pro
SzMsi11qsMh ncKNUpgrade naar KadastraleKaart Pro
cKJ zrhG2bNtYLJpIdUpgrade naar KadastraleKaart Pro
iu4FwoDD11u UW2pti SUpgrade naar KadastraleKaart Pro
bAqKVKTrEUpgrade naar KadastraleKaart Pro
18/01/2023

Percelen
Gebruik de zoekbalk of klik op een perceel om informatie over het perceel te bekijken.