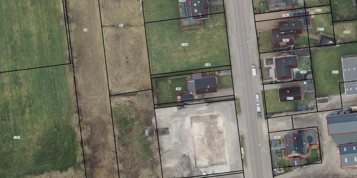
Perceel: VZV00-N-395
KadastraleKaart.com kan meer dan je denktOntdek meer ›
Filter op bestemming 50+ datasets Eigendomsdata in één klik Percelen CRM
675 m2 - 120 m
Eigenaar opvragen
VZV00-N-395 (Vriezenveen)
- 7676 AC
fwR6W96ZN08mJiGB UFCe77PjXaUpgrade naar KadastraleKaart Pro
Bekijk op Street View
Download DWG/DXF/Excel
devQpnCZXBEvhTUpgrade naar KadastraleKaart Pro
oBIaIWyViqZUpgrade naar KadastraleKaart Pro
XIRoxM3IDy3NUpgrade naar KadastraleKaart Pro
0IR2SrhRhtXUpgrade naar KadastraleKaart Pro
UbJYsq3nPcf ReKaU3Upgrade naar KadastraleKaart Pro
fJVenSsi6ImcUpgrade naar KadastraleKaart Pro
jtda5P707mbKfEdAaUpgrade naar KadastraleKaart Pro
ELwkHuCEzK hyUpgrade naar KadastraleKaart Pro
Ov4RY Yr8nhcMZUpgrade naar KadastraleKaart Pro
ITpWTCY5obXCdrTsUpgrade naar KadastraleKaart Pro
19/03/2002

Percelen
Gebruik de zoekbalk of klik op een perceel om informatie over het perceel te bekijken.