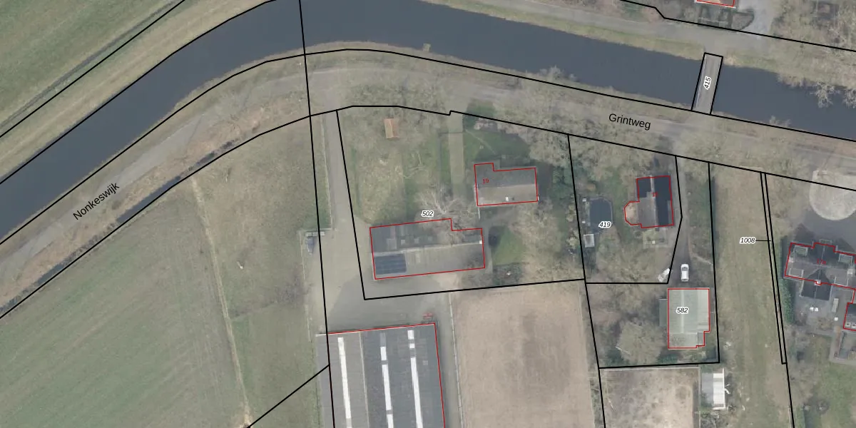
Perceel: VZV00-N-502
KadastraleKaart.com kan meer dan je denktOntdek meer ›
Filter op bestemming 50+ datasets Eigendomsdata in één klik Percelen CRM
2.155 m2 - 186 m
Eigenaar opvragen
VZV00-N-502 (Vriezenveen)
- 7676 SE
Rf12CO Yq X4CYdB6lylsEJZUpgrade naar KadastraleKaart Pro
Bekijk op Street View
Download DWG/DXF/Excel
qiwx2kOKcFy SMeYQjaPxUpgrade naar KadastraleKaart Pro
JXRscr75nLRCwreyUpgrade naar KadastraleKaart Pro
Pjk0pQO5GVjHUpgrade naar KadastraleKaart Pro
xJCLh djX88qjFog 9yzUpgrade naar KadastraleKaart Pro
XFHG4JNGUpgrade naar KadastraleKaart Pro
9bkUfRldkb E5SrVToMPUpgrade naar KadastraleKaart Pro
wbxU7 qfiBwVinlPkPP5Upgrade naar KadastraleKaart Pro
6e3O0C lOFUpgrade naar KadastraleKaart Pro
OzJbLqYwUpgrade naar KadastraleKaart Pro
1vxaoU86wUpgrade naar KadastraleKaart Pro
21/05/2001

Percelen
Gebruik de zoekbalk of klik op een perceel om informatie over het perceel te bekijken.