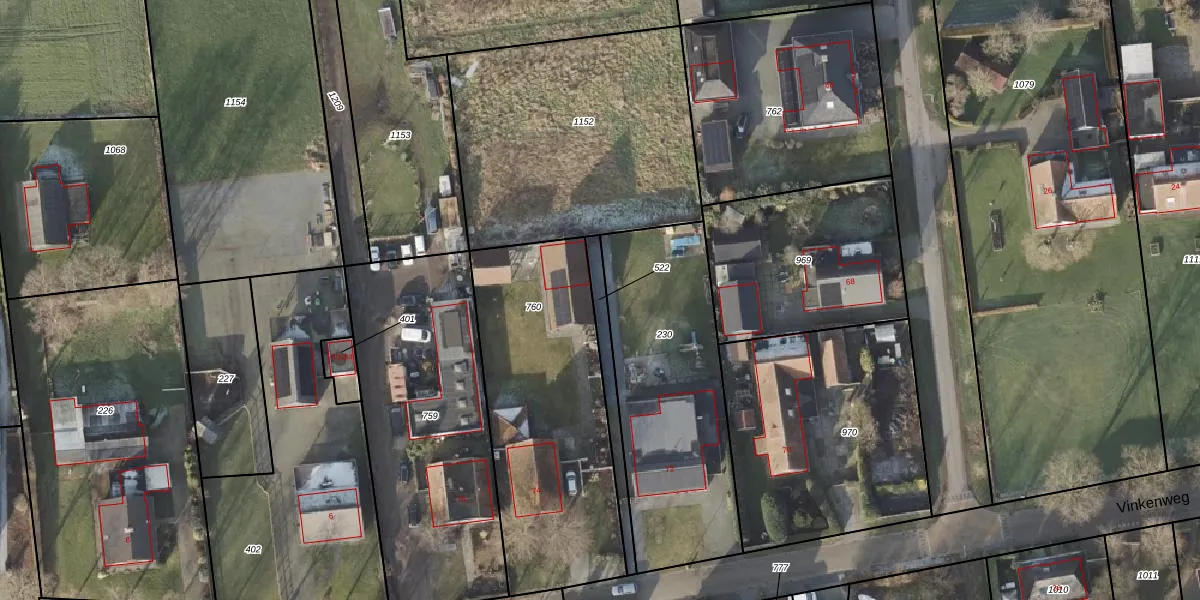
Perceel: VZV00-N-522
KadastraleKaart.com kan meer dan je denktOntdek meer ›
Filter op bestemming 50+ datasets Eigendomsdata in één klik Percelen CRM
Geen adressen bij dit perceel
110 m2 - 118 m
Eigenaar opvragen
VZV00-N-522 (Vriezenveen)
- Geen postcode aanwezig
iIIilyqJUgTp6U 09uTB Upgrade naar KadastraleKaart Pro
Bekijk op Street View
Download DWG/DXF/Excel
WxZPNYuHRjHDxIOUpgrade naar KadastraleKaart Pro
9VK332RYvEOYx5ndUUpgrade naar KadastraleKaart Pro
sSaolunrygh VpqE5Upgrade naar KadastraleKaart Pro
oDZwkI3q 6PqE4nAObOLTUpgrade naar KadastraleKaart Pro
FqGby zYIGVwUpgrade naar KadastraleKaart Pro
nN4XJvLahNTW2gZ6Upgrade naar KadastraleKaart Pro
fe1Vaui pRWUpgrade naar KadastraleKaart Pro
i3OxVP 6hHUpgrade naar KadastraleKaart Pro
532scryXOqkoQVz DtDK4Upgrade naar KadastraleKaart Pro
mfrUlrthv0Upgrade naar KadastraleKaart Pro
14/03/2002

Percelen
Gebruik de zoekbalk of klik op een perceel om informatie over het perceel te bekijken.