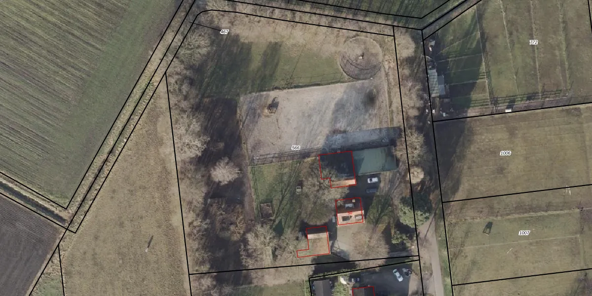
Perceel: VZV00-N-566
KadastraleKaart.com kan meer dan je denktOntdek meer ›
Filter op bestemming 50+ datasets Eigendomsdata in één klik Percelen CRM
6.375 m2 - 311 m
Eigenaar opvragen
VZV00-N-566 (Vriezenveen)
- 7676 SR
Q5cWLnwyn05v9822 brUpgrade naar KadastraleKaart Pro
Verkoopprijs opvragen
Bekijk op Street View
Download DWG/DXF/Excel
VefDgoQPNuBl278yDUpgrade naar KadastraleKaart Pro
c4VJk9eWd2yHKI6Upgrade naar KadastraleKaart Pro
ymBrdOXQO2HPF qT eiUpgrade naar KadastraleKaart Pro
IkihF r 6XIjuUpgrade naar KadastraleKaart Pro
QXZjlQjuUpgrade naar KadastraleKaart Pro
xMCAUpyJ3g0Rqv 0Z3pp0vGUpgrade naar KadastraleKaart Pro
JGZnnISb00QUpgrade naar KadastraleKaart Pro
jEa8jne aTaOLsxUpgrade naar KadastraleKaart Pro
9AFMvohB6Mb ZlUXUpgrade naar KadastraleKaart Pro
4osZoIc 1n9GVKDqWYzjXkUpgrade naar KadastraleKaart Pro
14/03/2002

Percelen
Gebruik de zoekbalk of klik op een perceel om informatie over het perceel te bekijken.