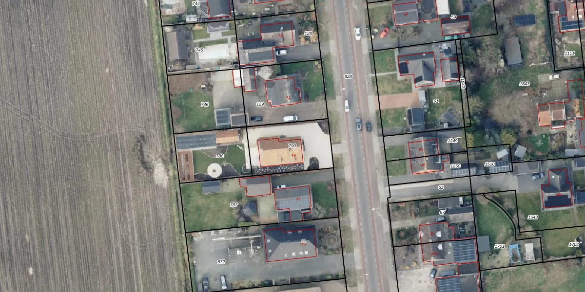
Perceel: VZV00-N-790
KadastraleKaart.com kan meer dan je denktOntdek meer ›
Filter op bestemming 50+ datasets Eigendomsdata in één klik Percelen CRM
483 m2 - 90 m
Eigenaar opvragen
VZV00-N-790 (Vriezenveen)
- 7676 AB
GMLVmXfspDV3pbYNme4caUpgrade naar KadastraleKaart Pro
Bekijk op Street View
Download DWG/DXF/Excel
3RXmDPHOf4Kj7U5owf0pGUpgrade naar KadastraleKaart Pro
iTIkGijba Upgrade naar KadastraleKaart Pro
8qsjgMAb4XUpgrade naar KadastraleKaart Pro
Q5lvOwj47Upgrade naar KadastraleKaart Pro
lXJVcJ4R9fiQlBqlLSUpgrade naar KadastraleKaart Pro
rRGtn aXVEUpgrade naar KadastraleKaart Pro
fpM6A lFZv1 L2HchFHw42Upgrade naar KadastraleKaart Pro
jB ITVxCOolPOw Upgrade naar KadastraleKaart Pro
m QGWEzxQ1Upgrade naar KadastraleKaart Pro
wb9ZENZ8jyxUpgrade naar KadastraleKaart Pro
19/03/2002

Percelen
Gebruik de zoekbalk of klik op een perceel om informatie over het perceel te bekijken.