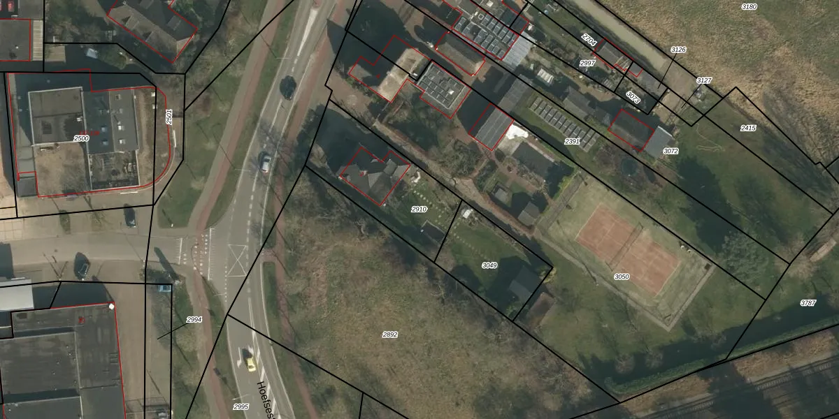
Perceel: WCN00-B-2910
KadastraleKaart.com kan meer dan je denktOntdek meer ›
Filter op bestemming 50+ datasets Eigendomsdata in één klik Percelen CRM
640 m2 - 112 m
Eigenaar opvragen
WCN00-B-2910 (Wijchen)
- 6601 GV
C3W qAvo3zx3NNBy HcaUpgrade naar KadastraleKaart Pro
Verkoopprijs opvragen
Bekijk op Street View
Download DWG/DXF/Excel
F kDyZL5 Tc30 jsHndUpgrade naar KadastraleKaart Pro
yV3SfQZ2UnxB7Y xu duZUpgrade naar KadastraleKaart Pro
YmUdJl6JDbbUpgrade naar KadastraleKaart Pro
YiA5DGOFjNWjvyyUpgrade naar KadastraleKaart Pro
iL3bD3G B8JzqeNHUpgrade naar KadastraleKaart Pro
plj3 u shI 2X kPPBM536rUpgrade naar KadastraleKaart Pro
mSKF PrQGBvjb XUpgrade naar KadastraleKaart Pro
l G6xsGkmxPooygzf0Upgrade naar KadastraleKaart Pro
w8si rBayKa 9Xa aJLQQPUpgrade naar KadastraleKaart Pro
fTqBncXY ruEAUpgrade naar KadastraleKaart Pro
16/01/2015

Percelen
Gebruik de zoekbalk of klik op een perceel om informatie over het perceel te bekijken.