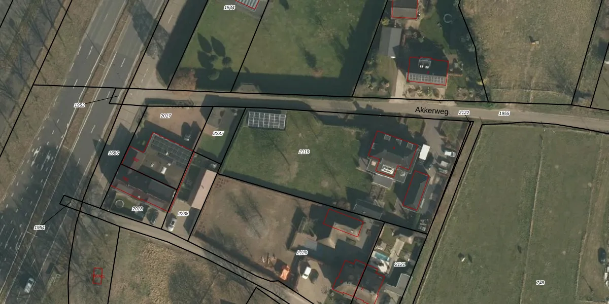
Perceel: WCN00-C-2119
KadastraleKaart.com kan meer dan je denktOntdek meer ›
Filter op bestemming 50+ datasets Eigendomsdata in één klik Percelen CRM
2.250 m2 - 209 m
Eigenaar opvragen
WCN00-C-2119 (Wijchen)
- 6603 KD
oGf0QUoi amgKFWTOGwMj IoE0H9Upgrade naar KadastraleKaart Pro
Bekijk op Street View
Download DWG/DXF/Excel
ft8igzRbhuxvUpgrade naar KadastraleKaart Pro
5yjn4S1UwGqZrV3xXWV9PUpgrade naar KadastraleKaart Pro
11kJ23 SokuXUpgrade naar KadastraleKaart Pro
IWnzCI8Xpc 9 Upgrade naar KadastraleKaart Pro
oYRyoTXDtPcqUpgrade naar KadastraleKaart Pro
7f4RB 5Upgrade naar KadastraleKaart Pro
KUbIe V5xUpgrade naar KadastraleKaart Pro
Sd JJs4izOSTOQlpDK 8Upgrade naar KadastraleKaart Pro
x W F2XWR9NkrW 9AUpgrade naar KadastraleKaart Pro
NT iecLSiHxOarDJlsUpgrade naar KadastraleKaart Pro
17/03/2021

Percelen
Gebruik de zoekbalk of klik op een perceel om informatie over het perceel te bekijken.