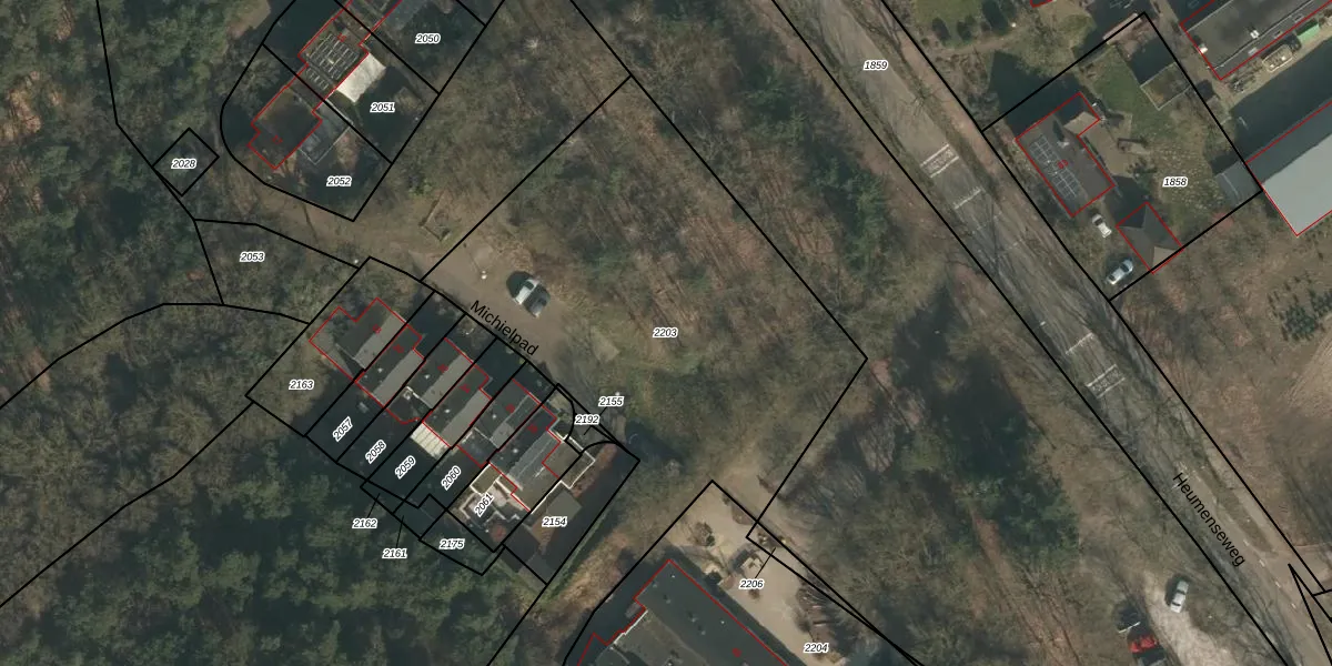
Perceel: WCN00-D-2203
Geen adressen bij dit perceel
3.937 m2 - 536 m
Eigenaar opvragen
WCN00-D-2203 (Wijchen)
- Geen postcode aanwezig
GFhuKYP Z8W NzQS25HTE1dNwG X4HMUpgrade naar KadastraleKaart Pro
Bekijk op Street View
Download DWG/DXF/Excel
1BqZC7K32Rsqj75 sUpgrade naar KadastraleKaart Pro
VRlKXSpv BKlyNm qP3nMcUpgrade naar KadastraleKaart Pro
7 lFKMstY 3m5pUpgrade naar KadastraleKaart Pro
fNYZK6 zg3w6bSQIt AUpgrade naar KadastraleKaart Pro
lyYfUE6TnH IOtDEKUpgrade naar KadastraleKaart Pro
MlZSZXoCUpgrade naar KadastraleKaart Pro
pShDqesK0 QbUpgrade naar KadastraleKaart Pro
hkcFH3RecrgeA wg8076Upgrade naar KadastraleKaart Pro
p g77f EB Upgrade naar KadastraleKaart Pro
wc14xOpfRdfJxa7O8Upgrade naar KadastraleKaart Pro
26/06/2018

Percelen
Gebruik de zoekbalk of klik op een perceel om informatie over het perceel te bekijken.