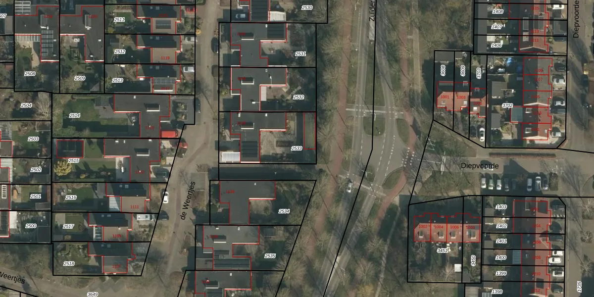
Perceel: WCN00-F-2533
KadastraleKaart.com kan meer dan je denktOntdek meer ›
Filter op bestemming 50+ datasets Eigendomsdata in één klik Percelen CRM
572 m2 - 101 m
Eigenaar opvragen
WCN00-F-2533 (Wijchen)
- 6605 RD
lDZX5TT4T90O1Qh ea4xYNynsGKsyUpgrade naar KadastraleKaart Pro
Verkoopprijs opvragen
Bekijk op Street View
Download DWG/DXF/Excel
P40MBRp G6BJ5zxNzLsGLUpgrade naar KadastraleKaart Pro
7yeaA E0Pr2 jC2 W08gNtrUpgrade naar KadastraleKaart Pro
TaK RCWYOjUpgrade naar KadastraleKaart Pro
VtsKzgHZO GR7VUpgrade naar KadastraleKaart Pro
OHVT3P4aSzdUpgrade naar KadastraleKaart Pro
sB2CXOMdSBWUpgrade naar KadastraleKaart Pro
DWIuurXhHe4QnUlfxRUpgrade naar KadastraleKaart Pro
HHZLdshUFjyMC6WBay8Upgrade naar KadastraleKaart Pro
vhlGC t Upgrade naar KadastraleKaart Pro
nKc8 I0DoDUe BJ4yLGtUpgrade naar KadastraleKaart Pro
28/04/2010

Percelen
Gebruik de zoekbalk of klik op een perceel om informatie over het perceel te bekijken.