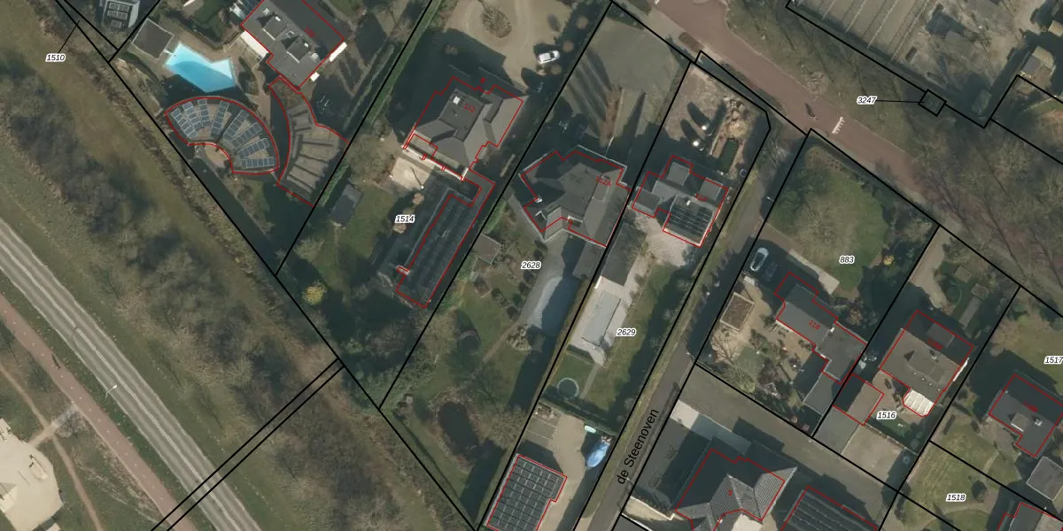
Perceel: WCN00-F-2628
KadastraleKaart.com kan meer dan je denktOntdek meer ›
Filter op bestemming 50+ datasets Eigendomsdata in één klik Percelen CRM
2.115 m2 - 235 m
Eigenaar opvragen
WCN00-F-2628 (Wijchen)
- 6602 HG
FZ29AWTVoLjp5G 6bQMZNW tx2Upgrade naar KadastraleKaart Pro
Verkoopprijs opvragen
Bekijk op Street View
Download DWG/DXF/Excel
efgiFcduV TTGQXjlw1a5iUpgrade naar KadastraleKaart Pro
6a FkiiSUJjUpgrade naar KadastraleKaart Pro
s3YRb N4 4A8JUpgrade naar KadastraleKaart Pro
oBWLPHyb1gmkUpgrade naar KadastraleKaart Pro
1cN F a7mXovQATY5bx5PUpgrade naar KadastraleKaart Pro
wnzNn boP43BzoUpgrade naar KadastraleKaart Pro
NKelSs96D5TYUpgrade naar KadastraleKaart Pro
i34URAzbowTVBllZqpR 4 VUpgrade naar KadastraleKaart Pro
n8S8YDKt 2Ut OZsUpgrade naar KadastraleKaart Pro
xEEG IAUeXUOpj 0QUpgrade naar KadastraleKaart Pro
07/10/2009

Percelen
Gebruik de zoekbalk of klik op een perceel om informatie over het perceel te bekijken.