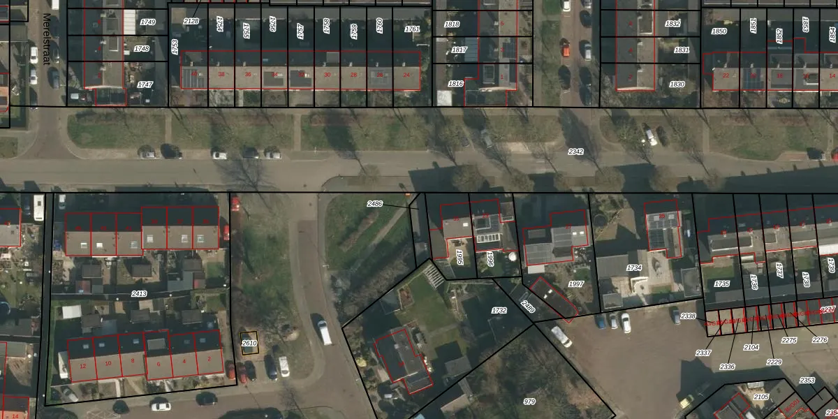
Perceel
Oppervlakte
60 m²
Aantal adressen
Geen adressen
Aanduiding
WCN00-G-2486 - Wijchen
Verkocht in
Onbekend
Eigendom
Eigenaar
Eigenaar opvragen
Type eigenaar
Gd6PKg Akd pd v0NGASLm Upgrade naar KadastraleKaart Pro
Appartementsrechten
Identificatie
RG3mUUDept tNdzwTJtegx7Upgrade naar KadastraleKaart Pro
Gerelateerde percelen
Aanduiding
DAoD vNtvjp1 sdXI0IDD5Upgrade naar KadastraleKaart Pro
Ligging
Meer functies

Percelen
Gebruik de zoekbalk of klik op een perceel om informatie over het perceel te bekijken.