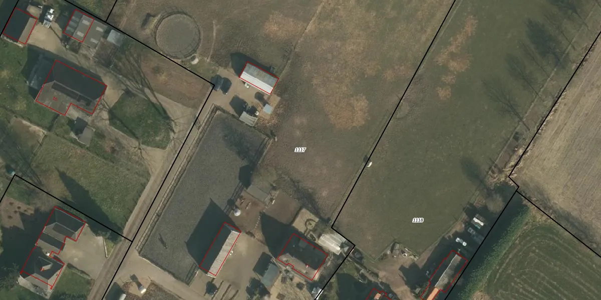
Perceel: WCN00-K-1117
KadastraleKaart.com kan meer dan je denktOntdek meer ›
Filter op bestemming 50+ datasets Eigendomsdata in één klik Percelen CRM
19.130 m2 - 766 m
Eigenaar opvragen
WCN00-K-1117 (Wijchen)
- 6604 KH
133I0KfudOlcu83gW3x9Bx oD Upgrade naar KadastraleKaart Pro
Bekijk op Street View
Download DWG/DXF/Excel
TNJbUTNd43VEkz3BnR3IpUpgrade naar KadastraleKaart Pro
TaPZLmVg2RHDBNnPXD8fUpgrade naar KadastraleKaart Pro
yB0wKJrW1 eCZdENnIbCCUpgrade naar KadastraleKaart Pro
bzi EEuveMQ7Upgrade naar KadastraleKaart Pro
z xO3QrzkdFH NSzeNsUpgrade naar KadastraleKaart Pro
k6STrWcjvS lY00DWUpgrade naar KadastraleKaart Pro
fu ZC IO lVwnfUpgrade naar KadastraleKaart Pro
EpcDkC61zjiHxe3jvl0NmUpgrade naar KadastraleKaart Pro
N5vxYGq1WDUpgrade naar KadastraleKaart Pro
phDL9ja MPogzesmLa1Upgrade naar KadastraleKaart Pro
07/10/2025

Percelen
Gebruik de zoekbalk of klik op een perceel om informatie over het perceel te bekijken.