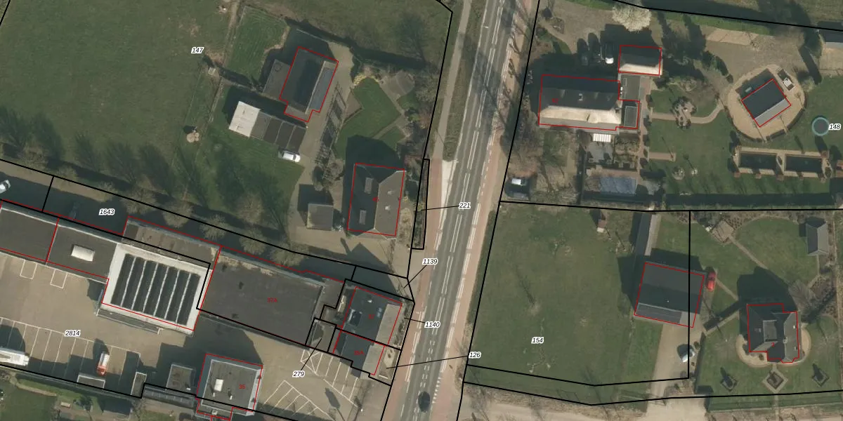
Perceel: WCN00-Q-221
KadastraleKaart.com kan meer dan je denktOntdek meer ›
Filter op bestemming 50+ datasets Eigendomsdata in één klik Percelen CRM
Geen adressen bij dit perceel
50 m2 - 47 m
Eigenaar opvragen
WCN00-Q-221 (Wijchen)
- Geen postcode aanwezig
LSL4f6HBTqk6gcaT3sUpgrade naar KadastraleKaart Pro
Bekijk op Street View
Download DWG/DXF/Excel
HSox1WpUcqUpgrade naar KadastraleKaart Pro
Z16parPTdv Wn 7Upgrade naar KadastraleKaart Pro
oXCfA1BDvAguJkdUpgrade naar KadastraleKaart Pro
0E1XalfDF9aUpgrade naar KadastraleKaart Pro
7lk7q7l7xfLemnNaUpgrade naar KadastraleKaart Pro
2PmAVye6eILnrZuqQWjjcR0Upgrade naar KadastraleKaart Pro
i0wrB9J6R5Upgrade naar KadastraleKaart Pro
is UesYS9U Ek1Upgrade naar KadastraleKaart Pro
FJ9FRuC9khtUO0 D50MDUpgrade naar KadastraleKaart Pro
AfuYNdnHXGNQYtNTxIcpBf2Upgrade naar KadastraleKaart Pro
07/08/2000

Percelen
Gebruik de zoekbalk of klik op een perceel om informatie over het perceel te bekijken.