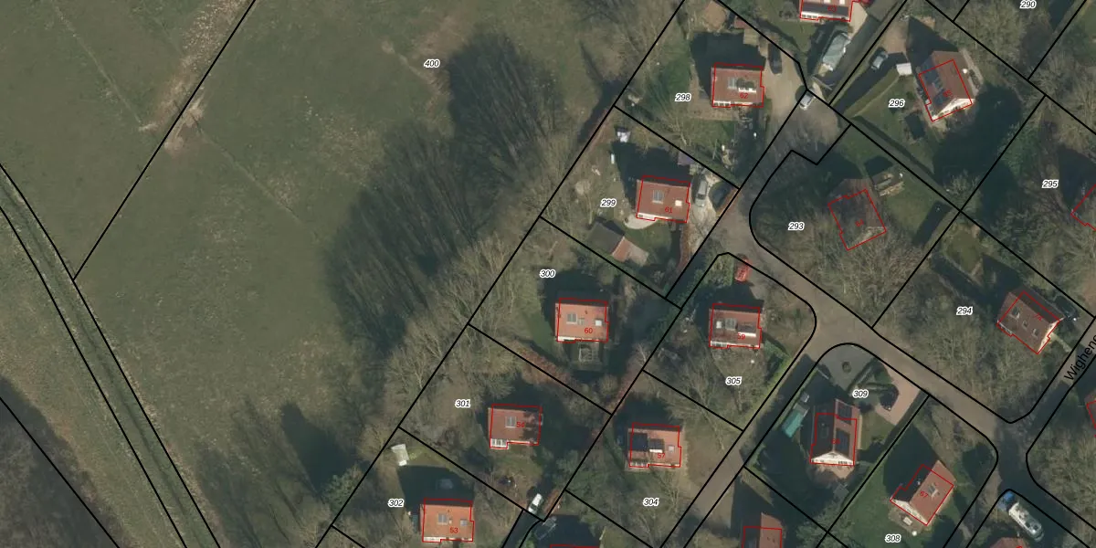
Perceel: WCN00-Q-300
KadastraleKaart.com kan meer dan je denktOntdek meer ›
Filter op bestemming 50+ datasets Eigendomsdata in één klik Percelen CRM
725 m2 - 109 m
Eigenaar opvragen
WCN00-Q-300 (Wijchen)
- 6603 KH
8VmoWXbNxHZEhRfU Upgrade naar KadastraleKaart Pro
Verkoopprijs opvragen
Bekijk op Street View
Download DWG/DXF/Excel
AiKbHAkeIUj5jZUpgrade naar KadastraleKaart Pro
Kf345O7FOtRQoJJUpgrade naar KadastraleKaart Pro
QPoW 6ca8TRBJXTZfs wDUpgrade naar KadastraleKaart Pro
RPp 2cObFyIiJgJRw Upgrade naar KadastraleKaart Pro
NYkFNy9t LNh8mF CDUUpgrade naar KadastraleKaart Pro
m61HMwmmiQ vMM4TbQv1D 5Upgrade naar KadastraleKaart Pro
nm7812ABnwxGcUrzUpgrade naar KadastraleKaart Pro
3Mn9N ujmbs0EqtX RUpgrade naar KadastraleKaart Pro
n5Afv JOFY1lEcM4JRrCrX1Upgrade naar KadastraleKaart Pro
cbsrIDwQ IQUC0z0pg7XUpgrade naar KadastraleKaart Pro
22/12/2010

Percelen
Gebruik de zoekbalk of klik op een perceel om informatie over het perceel te bekijken.