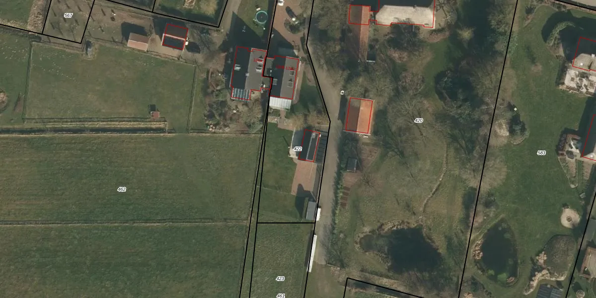
Perceel: WCN00-Q-422
KadastraleKaart.com kan meer dan je denktOntdek meer ›
Filter op bestemming 50+ datasets Eigendomsdata in één klik Percelen CRM
1.585 m2 - 232 m
Eigenaar opvragen
WCN00-Q-422 (Wijchen)
- 6603 LC
HM G7hw9u WAJU Upgrade naar KadastraleKaart Pro
Bekijk op Street View
Download DWG/DXF/Excel
96uyd T HmVsBUpgrade naar KadastraleKaart Pro
mI5LFNFGHkmEUpgrade naar KadastraleKaart Pro
Wt6EQji j1Vch9RUpgrade naar KadastraleKaart Pro
LP6z lrhOof ntwMRE4rg2RUpgrade naar KadastraleKaart Pro
3d8pDpPUpgrade naar KadastraleKaart Pro
btbXNiaygoEBxhK6nH8Upgrade naar KadastraleKaart Pro
1weAv1 W73N BQ 2JUpgrade naar KadastraleKaart Pro
tEtIsEp1 Qa 5u0wpUpgrade naar KadastraleKaart Pro
du6YWvgL0TCft1OGUpgrade naar KadastraleKaart Pro
tNG5li2lH3Upgrade naar KadastraleKaart Pro
09/01/2012

Percelen
Gebruik de zoekbalk of klik op een perceel om informatie over het perceel te bekijken.