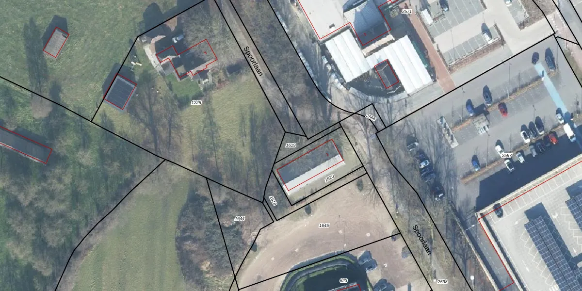
Perceel: WDB02-G-1619
Geen adressen bij dit perceel
85 m2 - 61 m
Eigenaar opvragen
WDB02-G-1619 (Woudenberg)
- Geen postcode aanwezig
gPVXrfJ4QNIV od6Pwdf9jr24siAbNUpgrade naar KadastraleKaart Pro
Bekijk op Street View
Download DWG/DXF/Excel
m c b1QG4OsUpgrade naar KadastraleKaart Pro
FBp8Li kZS3Mnnh0cqxzgEBUpgrade naar KadastraleKaart Pro
lsg qc CrUUqelqw1 4HlU2Upgrade naar KadastraleKaart Pro
nsr63B2d c1N8 Eyaw ATUpgrade naar KadastraleKaart Pro
1pg0xW0bZ3QUpgrade naar KadastraleKaart Pro
7kUwQRbrXhUpgrade naar KadastraleKaart Pro
IXzP52tAwC1 eIB746M E1RUpgrade naar KadastraleKaart Pro
ia8w 5FshTGqKOFFcn6 Upgrade naar KadastraleKaart Pro
FD eHcwYJU9ssUpgrade naar KadastraleKaart Pro
JKECcLLM3ahTiHES1 TUpgrade naar KadastraleKaart Pro
18/02/2019

Percelen
Gebruik de zoekbalk of klik op een perceel om informatie over het perceel te bekijken.