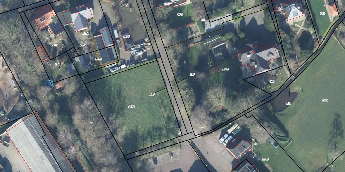
Perceel: WDB02-G-286
KadastraleKaart.com kan meer dan je denktOntdek meer ›
Filter op bestemming 50+ datasets Eigendomsdata in één klik Percelen CRM
Geen adressen bij dit perceel
410 m2 - 199 m
Eigenaar opvragen
WDB02-G-286 (Woudenberg)
- Geen postcode aanwezig
avU6U q4R3zSoTp3Ly6xbZFiiWLHPhVUpgrade naar KadastraleKaart Pro
Bekijk op Street View
Download DWG/DXF/Excel
oIE4hlmZKWoDWUSjUpgrade naar KadastraleKaart Pro
TaE1UJqd6gJIJm3ZTlUpgrade naar KadastraleKaart Pro
gNoQKA19WAUpgrade naar KadastraleKaart Pro
9 rvBxZ6uqzqArJpJaUpgrade naar KadastraleKaart Pro
GUdjYgf BsuJKUpgrade naar KadastraleKaart Pro
bFHNaLE 40KJUpgrade naar KadastraleKaart Pro
IH107y3jfeKsSzUpgrade naar KadastraleKaart Pro
4m615IBRI3SbUpgrade naar KadastraleKaart Pro
WG H NIN wuItD9cMK gUpgrade naar KadastraleKaart Pro
1vtq6Q8KgsD8c3dEmPUpgrade naar KadastraleKaart Pro
10/07/2018

Percelen
Gebruik de zoekbalk of klik op een perceel om informatie over het perceel te bekijken.