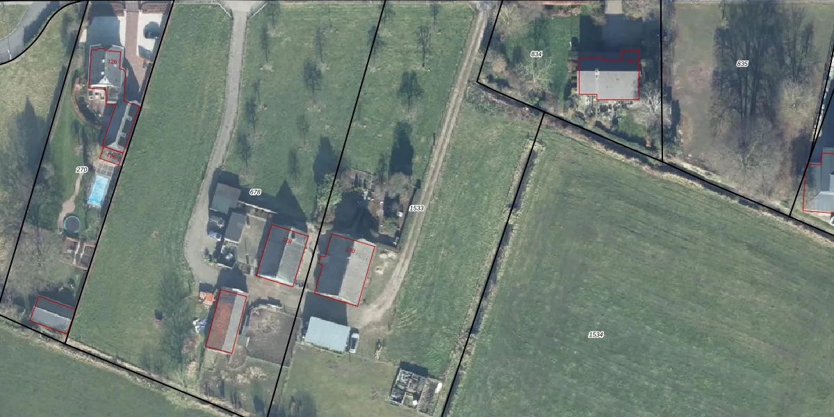
Perceel: WDB02-H-1533
KadastraleKaart.com kan meer dan je denktOntdek meer ›
Filter op bestemming 50+ datasets Eigendomsdata in één klik Percelen CRM
4.410 m2 - 308 m
Eigenaar opvragen
WDB02-H-1533 (Woudenberg)
- 3931 EW
r19EJlC DHo BtahPTPLAXk1 iB2 Upgrade naar KadastraleKaart Pro
Bekijk op Street View
Download DWG/DXF/Excel
7N GcD qKXZjD0CpC1jZo9Upgrade naar KadastraleKaart Pro
3UG3kDKG57bURkbIL7bUpgrade naar KadastraleKaart Pro
2OFtpSjsXiUpgrade naar KadastraleKaart Pro
c1uFzM 1 jNNQzMdUpgrade naar KadastraleKaart Pro
f P A R54K YAywpsLwDUpgrade naar KadastraleKaart Pro
zhQ NdxmEDUpgrade naar KadastraleKaart Pro
tbdUMChS SGhDfBUpgrade naar KadastraleKaart Pro
zA95zUqHKUpgrade naar KadastraleKaart Pro
TEG JNk Upgrade naar KadastraleKaart Pro
GajcHeBlzR dSW9kSUpgrade naar KadastraleKaart Pro
02/03/2018

Percelen
Gebruik de zoekbalk of klik op een perceel om informatie over het perceel te bekijken.