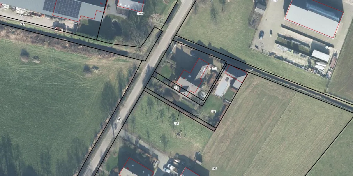
Perceel: WDB02-H-476
KadastraleKaart.com kan meer dan je denktOntdek meer ›
Filter op bestemming 50+ datasets Eigendomsdata in één klik Percelen CRM
Geen adressen bij dit perceel
125 m2 - 122 m
Eigenaar opvragen
WDB02-H-476 (Woudenberg)
- Geen postcode aanwezig
eF 2H6ejJyYL3854 Upgrade naar KadastraleKaart Pro
Bekijk op Street View
Download DWG/DXF/Excel
7IMQgyvV9xM6d4ei6iA hIUpgrade naar KadastraleKaart Pro
fXXv gbY xKFHTrJUpgrade naar KadastraleKaart Pro
p3DKWteyUaOhq v2 689Upgrade naar KadastraleKaart Pro
L3eD33HZQ bSUpgrade naar KadastraleKaart Pro
SlpAlEP HEtTAQUpgrade naar KadastraleKaart Pro
YNm xG0lUxhsKkJLlLtaUpgrade naar KadastraleKaart Pro
ae WVq JSl6FB0XY3Upgrade naar KadastraleKaart Pro
yQCw9wz9NEko X fR84QSQUpgrade naar KadastraleKaart Pro
nz8DRHruUpgrade naar KadastraleKaart Pro
ELUZVFiUlIFk72jTUpgrade naar KadastraleKaart Pro
17/07/1998

Percelen
Gebruik de zoekbalk of klik op een perceel om informatie over het perceel te bekijken.