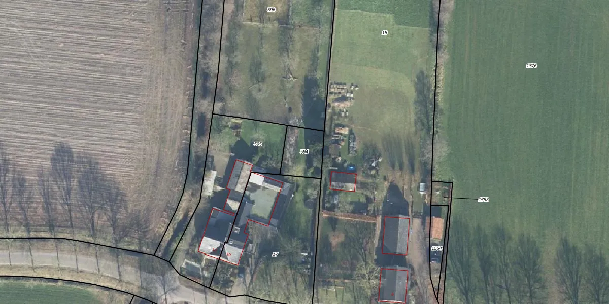
Perceel: WDB02-H-594
KadastraleKaart.com kan meer dan je denktOntdek meer ›
Filter op bestemming 50+ datasets Eigendomsdata in één klik Percelen CRM
Geen adressen bij dit perceel
200 m2 - 58 m
Eigenaar opvragen
WDB02-H-594 (Woudenberg)
- Geen postcode aanwezig
qYY7Xbx4SDH6c0CAHEbp14wyZUpgrade naar KadastraleKaart Pro
Bekijk op Street View
Download DWG/DXF/Excel
bKjN9DNX jzKzVpMnUpgrade naar KadastraleKaart Pro
p16pmO Rn8Upgrade naar KadastraleKaart Pro
qwv XfXiSWm66c4rQIUoeQVUpgrade naar KadastraleKaart Pro
I HQy9DiBteCEXGtUpgrade naar KadastraleKaart Pro
CgA2T m4 jEJXVDTCT gEUpgrade naar KadastraleKaart Pro
jJ1u38cU AlOKCUpgrade naar KadastraleKaart Pro
K5CYn35zl8Upgrade naar KadastraleKaart Pro
uatWzsAgbGg5gP 8Upgrade naar KadastraleKaart Pro
LjnpWZRBoQ W5 M6RUpgrade naar KadastraleKaart Pro
rVxSzBesc d hdUpgrade naar KadastraleKaart Pro
10/07/1998

Percelen
Gebruik de zoekbalk of klik op een perceel om informatie over het perceel te bekijken.