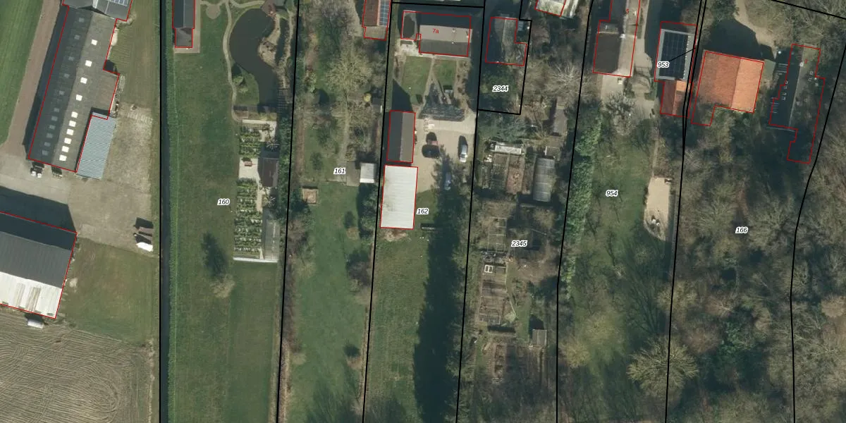
Perceel: WDC00-H-162
KadastraleKaart.com kan meer dan je denktOntdek meer ›
Filter op bestemming 50+ datasets Eigendomsdata in één klik Percelen CRM
2.520 m2 - 273 m
Eigenaar opvragen
WDC00-H-162 (Woudrichem)
- 4284 VR
AunnHmS1be7SIaM MIGQG7YIGznUpgrade naar KadastraleKaart Pro
Verkoopprijs opvragen
Bekijk op Street View
Download DWG/DXF/Excel
AeQKkpDSReWUpgrade naar KadastraleKaart Pro
55ZNQ1rE4DwXNy9P C BWoUpgrade naar KadastraleKaart Pro
guAGGzsZ WHEKFXUpgrade naar KadastraleKaart Pro
8 mUo5ooheSJ7qBAsmWsdUpgrade naar KadastraleKaart Pro
FvMCf3NCFbj6RUpgrade naar KadastraleKaart Pro
dRp9CJMdCqCsIKVlxnyUpgrade naar KadastraleKaart Pro
ef3tOwYPUn dSq36BvLUpgrade naar KadastraleKaart Pro
P5 dIXpzZA U4fy604VbUpgrade naar KadastraleKaart Pro
pTYhacmEe6xbsqWfuer7Upgrade naar KadastraleKaart Pro
td9cC NFfPZpGB7yBdUpgrade naar KadastraleKaart Pro
04/11/2005

Percelen
Gebruik de zoekbalk of klik op een perceel om informatie over het perceel te bekijken.