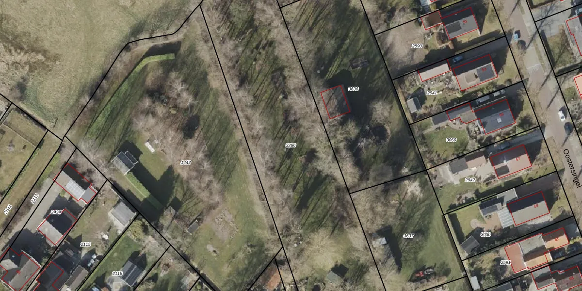
Perceel: WDE03-D-3286
Geen adressen bij dit perceel
3.580 m2 - 339 m
Eigenaar opvragen
WDE03-D-3286 (Wedde)
- Geen postcode aanwezig
vRs8tAEQdOjuOoEEmRUpgrade naar KadastraleKaart Pro
Bekijk op Street View
Download DWG/DXF/Excel
Rk bZtowc kEUpgrade naar KadastraleKaart Pro
A4AUoC23HiAjapVT1Upgrade naar KadastraleKaart Pro
BamHSpTdgoUpgrade naar KadastraleKaart Pro
J SWB hqxvBkyyKUpgrade naar KadastraleKaart Pro
bu6JlstJN uPUYBo QKaUpgrade naar KadastraleKaart Pro
CZ2yfuU q O7FJ3 UPUpgrade naar KadastraleKaart Pro
kYLNvLyw 2WUpgrade naar KadastraleKaart Pro
bHQ ZhZ9r2JIOnXYb3zmHAzUpgrade naar KadastraleKaart Pro
2N BkYvUp8HS1rUpgrade naar KadastraleKaart Pro
XZpqEWyu1Io RKxOoCglUpgrade naar KadastraleKaart Pro
21/08/2008

Percelen
Gebruik de zoekbalk of klik op een perceel om informatie over het perceel te bekijken.