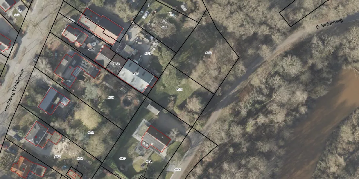
Perceel: WDE03-D-4011
Geen adressen bij dit perceel
700 m2 - 106 m
Eigenaar opvragen
WDE03-D-4011 (Wedde)
- Geen postcode aanwezig
FYqCplw UdOfUjCLiUpgrade naar KadastraleKaart Pro
Bekijk op Street View
Download DWG/DXF/Excel
b J7Np2Yf8Upgrade naar KadastraleKaart Pro
psQxxcfPc9h 5bFnjVUpgrade naar KadastraleKaart Pro
1d9RV VmdE TJuL7kpjQBZ2Upgrade naar KadastraleKaart Pro
uwqw GBCbyeCPLa nuKgUpgrade naar KadastraleKaart Pro
ogIhmHUBn82vTrCivFk1oUpgrade naar KadastraleKaart Pro
9KmMJlpfEBetuUpgrade naar KadastraleKaart Pro
VVTphfPfpXlUpgrade naar KadastraleKaart Pro
NXFPu4T3umJ 80ixrFgrUpgrade naar KadastraleKaart Pro
ovbjIAktJLYU mJ8iyuUpgrade naar KadastraleKaart Pro
29BvNqp32ep6NX9ODi6tRxUpgrade naar KadastraleKaart Pro
07/09/2005

Percelen
Gebruik de zoekbalk of klik op een perceel om informatie over het perceel te bekijken.