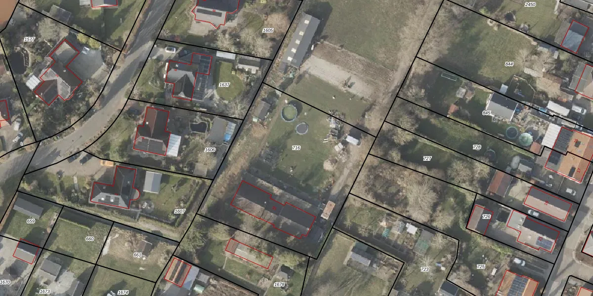
Perceel: WDE03-I-716
2.005 m2 - 182 m
Eigenaar opvragen
WDE03-I-716 (Wedde)
- 9697 NA
R9Eqbb b7 ClBtNTWXUpgrade naar KadastraleKaart Pro
Verkoopprijs opvragen
Bekijk op Street View
Download DWG/DXF/Excel
JEUxgNIF2iFsd eITxTS5GUpgrade naar KadastraleKaart Pro
x72 Q3uEhOmQBUpgrade naar KadastraleKaart Pro
kkCm C2AVwy06uwUX DjUpgrade naar KadastraleKaart Pro
AyPhDsqlWGb2EclofUalECUpgrade naar KadastraleKaart Pro
SBK2Iqkh9fXE4tww22pqUpgrade naar KadastraleKaart Pro
9aYSFT2lSA2t76 K VeUpgrade naar KadastraleKaart Pro
r1UY 9hfVMXiwUPFDUpgrade naar KadastraleKaart Pro
Gp wn9Y79hwMBpUpgrade naar KadastraleKaart Pro
Zu0o wKU CUpgrade naar KadastraleKaart Pro
xhIjghL26Upgrade naar KadastraleKaart Pro
10/07/2000

Percelen
Gebruik de zoekbalk of klik op een perceel om informatie over het perceel te bekijken.