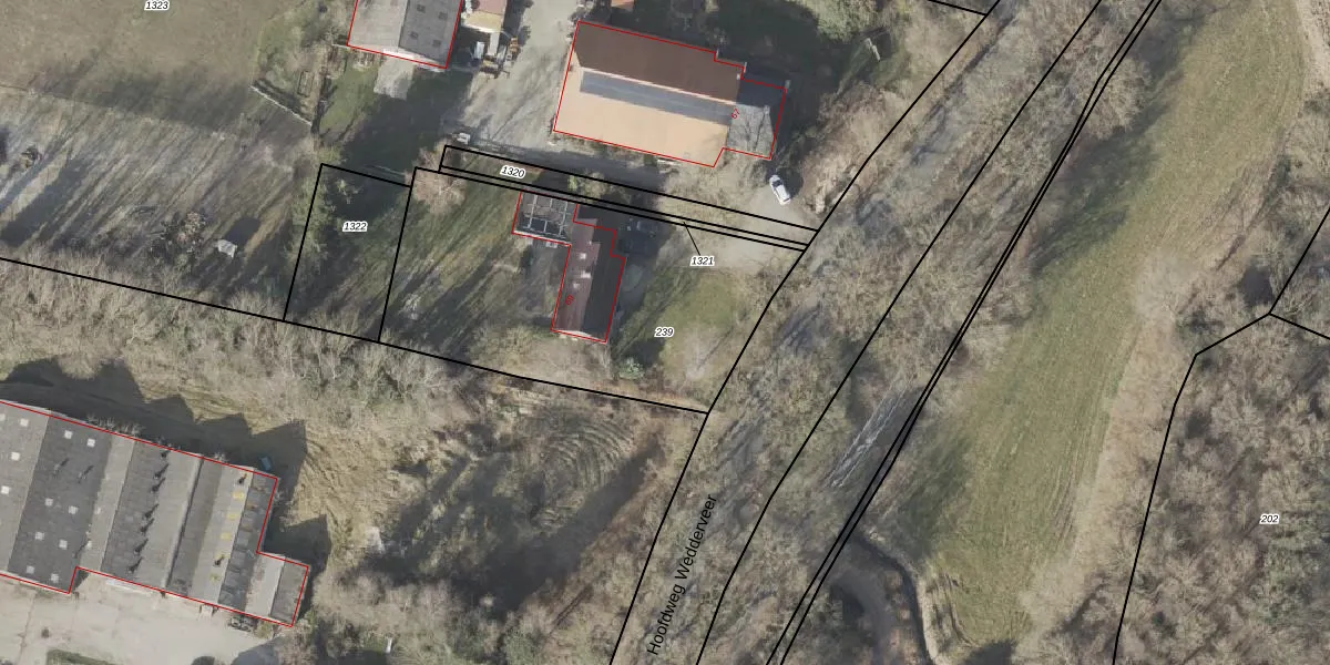
Perceel: WDE03-K-239
1.495 m2 - 166 m
Eigenaar opvragen
WDE03-K-239 (Wedde)
- 9698 PC
QTM18cx6NI NGLvxUpgrade naar KadastraleKaart Pro
Verkoopprijs opvragen
Bekijk op Street View
Download DWG/DXF/Excel
riph12 ZpKeuzdUpgrade naar KadastraleKaart Pro
guZqnmCUcr s vcUpgrade naar KadastraleKaart Pro
9mooMIpB5VALalgWsUpgrade naar KadastraleKaart Pro
PWamgQv1tRIefI3UUpgrade naar KadastraleKaart Pro
3W DywtK nUpgrade naar KadastraleKaart Pro
m sBS4Yqs5T J8KmTUpgrade naar KadastraleKaart Pro
rq 8BlEJKMxXkzr92CTo1Upgrade naar KadastraleKaart Pro
48fG4YKMeO6stUpgrade naar KadastraleKaart Pro
WP9o0zL8B PD EYyvxhKsfRUpgrade naar KadastraleKaart Pro
iSNmQ 3IUpgrade naar KadastraleKaart Pro
16/08/2006

Percelen
Gebruik de zoekbalk of klik op een perceel om informatie over het perceel te bekijken.