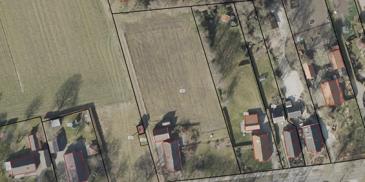
Perceel: WDE03-K-760
4.190 m2 - 281 m
Eigenaar opvragen
WDE03-K-760 (Wedde)
- 9698 BR
SmjED sn1SZNJitsNDiUpgrade naar KadastraleKaart Pro
Bekijk op Street View
Download DWG/DXF/Excel
iQhG9prWzgFVtwjHgILHQ Upgrade naar KadastraleKaart Pro
mQXBBcvwfUpgrade naar KadastraleKaart Pro
B M4fNg YCUpgrade naar KadastraleKaart Pro
mLvhvXYjt504vU6V SBlvmUpgrade naar KadastraleKaart Pro
zIs9AmrpSUpgrade naar KadastraleKaart Pro
y ty2c5J TSGCKUpgrade naar KadastraleKaart Pro
n g0nzdxJfjmas0Wo CI1OqUpgrade naar KadastraleKaart Pro
Wz 5i6 dpPs S8L zMUpgrade naar KadastraleKaart Pro
u8sWDX5LzjQU8NqUpgrade naar KadastraleKaart Pro
FCacjAZV3J2 Y4HUpgrade naar KadastraleKaart Pro
09/02/2026

Percelen
Gebruik de zoekbalk of klik op een perceel om informatie over het perceel te bekijken.