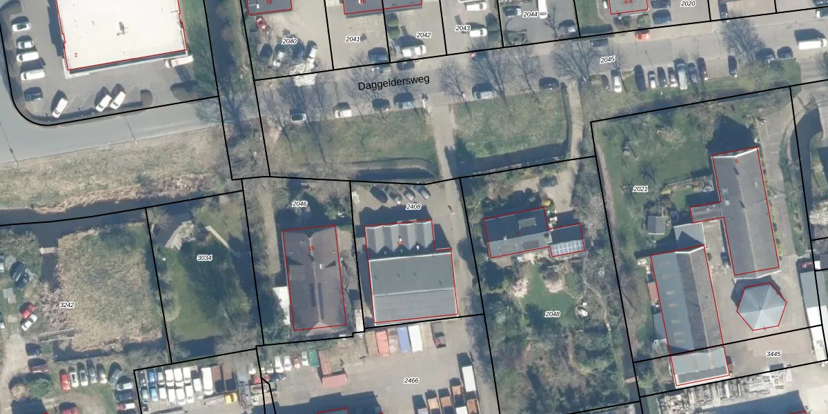
Perceel: WDN01-D-2408
KadastraleKaart.com kan meer dan je denktOntdek meer ›
Filter op bestemming 50+ datasets Eigendomsdata in één klik Percelen CRM
970 m2 - 125 m
Eigenaar opvragen
WDN01-D-2408 (Woerden)
- 3449 JD
oKLjLLebkAPA3ujY4oy A4 YUpgrade naar KadastraleKaart Pro
Bekijk op Street View
Download DWG/DXF/Excel
RQdhjbefqDZAK1X ZUpgrade naar KadastraleKaart Pro
P YOe4ED fSWjNFiIDUpgrade naar KadastraleKaart Pro
D5H7E1FGxUpgrade naar KadastraleKaart Pro
3sIC3jglQXMBw V2r4Upgrade naar KadastraleKaart Pro
uxBOOy tS ecHUoaUpgrade naar KadastraleKaart Pro
lyQpw1M8J feq6vSFCdUpgrade naar KadastraleKaart Pro
J rqWEpmT Upgrade naar KadastraleKaart Pro
aTqVx PjZzDsMMScr1 ynUpgrade naar KadastraleKaart Pro
NLEIvoY8jWsUpgrade naar KadastraleKaart Pro
wLCANg B CQ618qSxeqUpgrade naar KadastraleKaart Pro
22/06/1999

Percelen
Gebruik de zoekbalk of klik op een perceel om informatie over het perceel te bekijken.