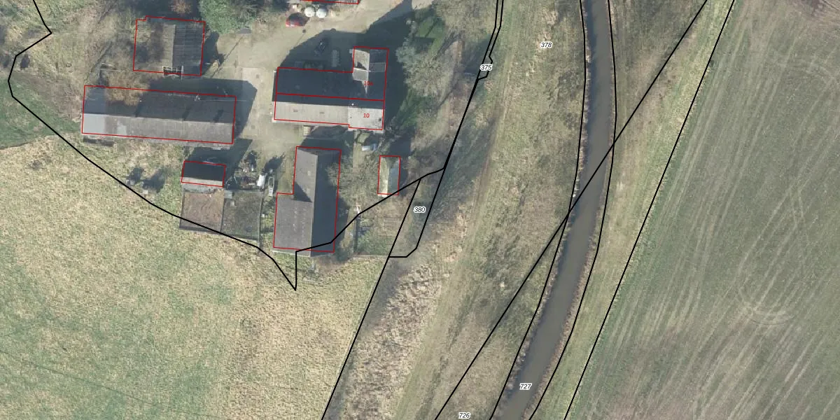
Perceel: WDN02-AC-380
Geen adressen bij dit perceel
108 m2 - 79 m
Eigenaar opvragen
WDN02-AC-380 (Wierden)
- Geen postcode aanwezig
Ob16jMYa MQL9oYvaT WCt qDyjLl2Upgrade naar KadastraleKaart Pro
Bekijk op Street View
Download DWG/DXF/Excel
C4vjj5mTrzWpALeaUpgrade naar KadastraleKaart Pro
1VU7oWZ2W uBAknmCQHFsYUpgrade naar KadastraleKaart Pro
fgN nTCNIfAdIz7o0Upgrade naar KadastraleKaart Pro
vKuG gCtH Uk0vUpgrade naar KadastraleKaart Pro
T4vjRt QUpgrade naar KadastraleKaart Pro
u w0BouMC4c3U08Upgrade naar KadastraleKaart Pro
t9kKgq GUpgrade naar KadastraleKaart Pro
5kZmbkxh5 m3f N6cEUpgrade naar KadastraleKaart Pro
om qciHlTU7A8Upgrade naar KadastraleKaart Pro
gY 7xV0lxwAaMfswfqy86Upgrade naar KadastraleKaart Pro
16/07/2019

Percelen
Gebruik de zoekbalk of klik op een perceel om informatie over het perceel te bekijken.