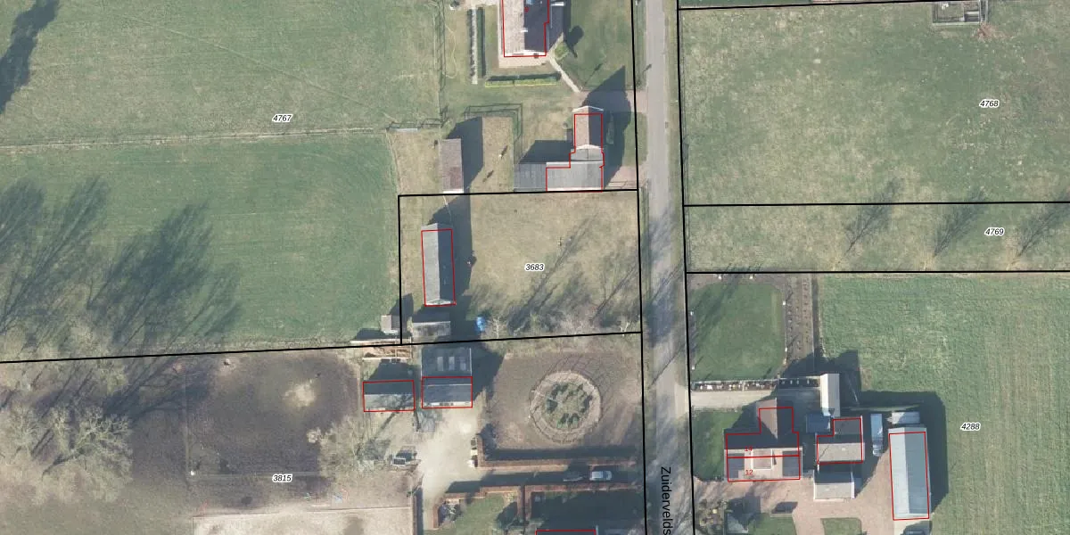
Perceel: WDN02-D-3683
Geen adressen bij dit perceel
1.265 m2 - 144 m
Eigenaar opvragen
WDN02-D-3683 (Wierden)
- Geen postcode aanwezig
W8TbXCq4zHqBQeAY5oIi3DWqK Upgrade naar KadastraleKaart Pro
Bekijk op Street View
Download DWG/DXF/Excel
sHdI7 VWLcwTUpgrade naar KadastraleKaart Pro
5bhyv9XWNdnfQk WgUpgrade naar KadastraleKaart Pro
B5F rEzLM1c1Upgrade naar KadastraleKaart Pro
h TkLJn Nf QfbMi01kLUpgrade naar KadastraleKaart Pro
VJ9ioNevF PinxUpgrade naar KadastraleKaart Pro
lKIkm JUpgrade naar KadastraleKaart Pro
EcJyLyN6V F6 B misycqUpgrade naar KadastraleKaart Pro
c0M9I2TdKLoUpgrade naar KadastraleKaart Pro
qkNY1ZdDq7hiWUpgrade naar KadastraleKaart Pro
U5j X2oRNQL o5mqEUBkUpgrade naar KadastraleKaart Pro
02/05/2003

Percelen
Gebruik de zoekbalk of klik op een perceel om informatie over het perceel te bekijken.