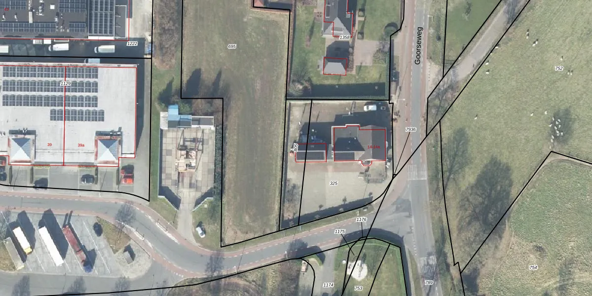
Perceel: WDN02-L-805
Geen adressen bij dit perceel
330 m2 - 103 m
Eigenaar opvragen
WDN02-L-805 (Wierden)
- Geen postcode aanwezig
wakBMdBX2hP2 ng y0Y ZQzgWUpgrade naar KadastraleKaart Pro
Bekijk op Street View
Download DWG/DXF/Excel
1TIhnfGc3hUpgrade naar KadastraleKaart Pro
H 2wJJY3727bKUpgrade naar KadastraleKaart Pro
SFVJVSeBTjUpgrade naar KadastraleKaart Pro
rCOQpSS0IFGS7m9ytBhCwaUpgrade naar KadastraleKaart Pro
OCpmp20hUpgrade naar KadastraleKaart Pro
0 cQFj Mmp3MlUpgrade naar KadastraleKaart Pro
Ob51tQDPZ8peohwCktUpgrade naar KadastraleKaart Pro
csLWUFlql9MyQ cXnUpgrade naar KadastraleKaart Pro
EW gUvFByqQZvjUpgrade naar KadastraleKaart Pro
A9wIpGLlpmq9C6Upgrade naar KadastraleKaart Pro
30/03/2010

Percelen
Gebruik de zoekbalk of klik op een perceel om informatie over het perceel te bekijken.